Petaluma Botany
Botanical Encyclopedia of my Petaluma yard (aka the Lee Farm)!
See my accompanying blog post here.
Note: I’ve done my best, but I can’t guarantee that all identifications are correct. I also haven’t rigorously validated the edibility and medicinal use information listed below, so do additional research if you intend to use any of these plants internally.
Known exclusions: 2 grass spp.
Species documented to date (4/16/2020):
(Click to expand)
Acanthus mollis
Bear's Breech
Not Edible | Not Medicinal | Not Native
Bear's Breech
Not Edible | Not Medicinal | Not Native
Common name(s): Bear's Breech
Historic household popularity: Medium-High
Comment: Dad's favorite. Highly invasive, prolific plant. Has taken over much of the back yard, with side and front yards following.
Edibility: Unknown
Medicinal Uses: Traditionally used to treat dislocated joints and to sooth burns.
Distribution: Not native to California. Native to the Mediterranean region.
Date observed: 3/30/2020
Additional references: Calflora | PFAF

Historic household popularity: Medium-High
Comment: Dad's favorite. Highly invasive, prolific plant. Has taken over much of the back yard, with side and front yards following.
Edibility: Unknown
Medicinal Uses: Traditionally used to treat dislocated joints and to sooth burns.
Distribution: Not native to California. Native to the Mediterranean region.
Date observed: 3/30/2020
Additional references: Calflora | PFAF
Acer macrophyllum
Big Leaf Maple
Edible | Not Medicinal | Native
Big Leaf Maple
Edible | Not Medicinal | Native
Common name(s): Big Leaf Maple
Historic household popularity: Medium-High
Comment: These are pretty majestic trees. Huge leaves, cool winged seeds, long dangling flower clusters, plus liquid sugar coarsing through its veins? Dope. We have the big one in the back corner of the back yard, but it usually produces a number of seedlings around the yard each year.
Edibility: Once the trees reach a certain size, they can be tapped for sap, which can they be reduced down to a syrup (maple syrup!). Apparently the inner bark can be eaten, the leaves can be used to wrap food for baking, and more importantly, the sweet flower clusters can be munched down raw (or cooked). The seeds can also be sprouted and eaten.
Medicinal Uses: Not a lot of medicinal uses.
Distribution: California native!
Date observed: 4/8/2020
Additional references: Calflora | PFAF | Jepson
Historic household popularity: Medium-High
Comment: These are pretty majestic trees. Huge leaves, cool winged seeds, long dangling flower clusters, plus liquid sugar coarsing through its veins? Dope. We have the big one in the back corner of the back yard, but it usually produces a number of seedlings around the yard each year.
Edibility: Once the trees reach a certain size, they can be tapped for sap, which can they be reduced down to a syrup (maple syrup!). Apparently the inner bark can be eaten, the leaves can be used to wrap food for baking, and more importantly, the sweet flower clusters can be munched down raw (or cooked). The seeds can also be sprouted and eaten.
Medicinal Uses: Not a lot of medicinal uses.
Distribution: California native!
Date observed: 4/8/2020
Additional references: Calflora | PFAF | Jepson
Acer palmatum
Japanese Maple
Edible | Not Medicinal | Not Native
Japanese Maple
Edible | Not Medicinal | Not Native
Common name(s): Japanese Maple
Historic household popularity: High
Comment: We've always had a few Japanese Maples in the front yard. They are cool looking trees, but they don't seem to grow much. They are able to disperse seed effectively enough to yield some seedlings, however.
Edibility: You can make syrup from these, technically. And you can technically eat the leaves, but you probably don't want to.
Medicinal Uses: None known.
Distribution: Not native to California. Native to Japan.
Date observed: 4/10/2020
Additonal references: PFAF
Historic household popularity: High
Comment: We've always had a few Japanese Maples in the front yard. They are cool looking trees, but they don't seem to grow much. They are able to disperse seed effectively enough to yield some seedlings, however.
Edibility: You can make syrup from these, technically. And you can technically eat the leaves, but you probably don't want to.
Medicinal Uses: None known.
Distribution: Not native to California. Native to Japan.
Date observed: 4/10/2020
Additonal references: PFAF
Allium neapolitanum
Naples Garlic
Edible | Not Medicinal | Not Native
Naples Garlic
Edible | Not Medicinal | Not Native
Common name(s): White Garlic; Naples Garlic; False Garlic (and many more)
Historic household popularity: Unknown
Comment: This pretty allium has arrived in force this year near the swing in the back yard, creating a lovely array of white flower heads. Some few are announcing themselves around the Goddess in the side yard. An invasive plant, probably worth keeping in check, but not too aggressively.
Edibility: Edible and delicious! The small bulbs, leaves, and flowers are all tasty and with an onion-garlic flavor. The flowers are sweet and oniony and especially tasty raw.
Medicinal Uses: Nutritional value.
Distribution: Not native to California. Native to the Medditerranean Region.
Date observed: 3/30/2020
Additonal references: Calflora | PFAF
Historic household popularity: Unknown
Comment: This pretty allium has arrived in force this year near the swing in the back yard, creating a lovely array of white flower heads. Some few are announcing themselves around the Goddess in the side yard. An invasive plant, probably worth keeping in check, but not too aggressively.
Edibility: Edible and delicious! The small bulbs, leaves, and flowers are all tasty and with an onion-garlic flavor. The flowers are sweet and oniony and especially tasty raw.
Medicinal Uses: Nutritional value.
Distribution: Not native to California. Native to the Medditerranean Region.
Date observed: 3/30/2020
Additonal references: Calflora | PFAF
Allium triquetrum
Angled Onion
Edibile | Not Medicinal | Not Native
Angled Onion
Edibile | Not Medicinal | Not Native
Common name(s): Snow Bell; Angled Onion; Three-cornered Leek
Historic household popularity: Low
Comment: Dad's least favorite. Very invasive, but now receding compared to historic levels. Flower's are very cool looking. Common in many neighboring yards. Has some recovering stands in the front, side, and back yard.
Edibility: Delicious! We have tried raw (flowers, stalks), sauteed, vinegar pickled, and brine fermented.
Medicinal Uses: Nutritional value.
Date observed: 3/30/2020
Additional references: Calflora | PFAF
Historic household popularity: Low
Comment: Dad's least favorite. Very invasive, but now receding compared to historic levels. Flower's are very cool looking. Common in many neighboring yards. Has some recovering stands in the front, side, and back yard.
Edibility: Delicious! We have tried raw (flowers, stalks), sauteed, vinegar pickled, and brine fermented.
Medicinal Uses: Nutritional value.
Date observed: 3/30/2020
Additional references: Calflora | PFAF
Allium vineale
Crow Garlic
Edible | Medicinal | Not Native
Crow Garlic
Edible | Medicinal | Not Native
Common name(s): Crow Garlic; Vineyard Onion; Wild Garlic
Historic household popularity: Medium
Comment: Dad has been weeding these for years, but they are still here. From the pictures I've seen online, they have some sweet looking flower heads -- looking forward to that! The local assumption has been that they are some kind of wild chive, which I suppose is close enough, though the greens on a. vineale won't be as tender as true chives.
Edibility: Its edible! The leaves, bulbs, and bulbils are all good for eating, though the leaves can be on the stringy side and the bulbs on the small side. I will be trying this one soon.
Medicinal Uses: Nutritious, but also combats asthma, purifies the blood, reduces blood pressure, and relieves shortness of breath, among other things.
Distribution: Not native to California. Native to Europe, North Africa, and the Middle East.
Date observed: 4/8/2020
Additional references: Calflora | PFAF | Jepson
Historic household popularity: Medium
Comment: Dad has been weeding these for years, but they are still here. From the pictures I've seen online, they have some sweet looking flower heads -- looking forward to that! The local assumption has been that they are some kind of wild chive, which I suppose is close enough, though the greens on a. vineale won't be as tender as true chives.
Edibility: Its edible! The leaves, bulbs, and bulbils are all good for eating, though the leaves can be on the stringy side and the bulbs on the small side. I will be trying this one soon.
Medicinal Uses: Nutritious, but also combats asthma, purifies the blood, reduces blood pressure, and relieves shortness of breath, among other things.
Distribution: Not native to California. Native to Europe, North Africa, and the Middle East.
Date observed: 4/8/2020
Additional references: Calflora | PFAF | Jepson
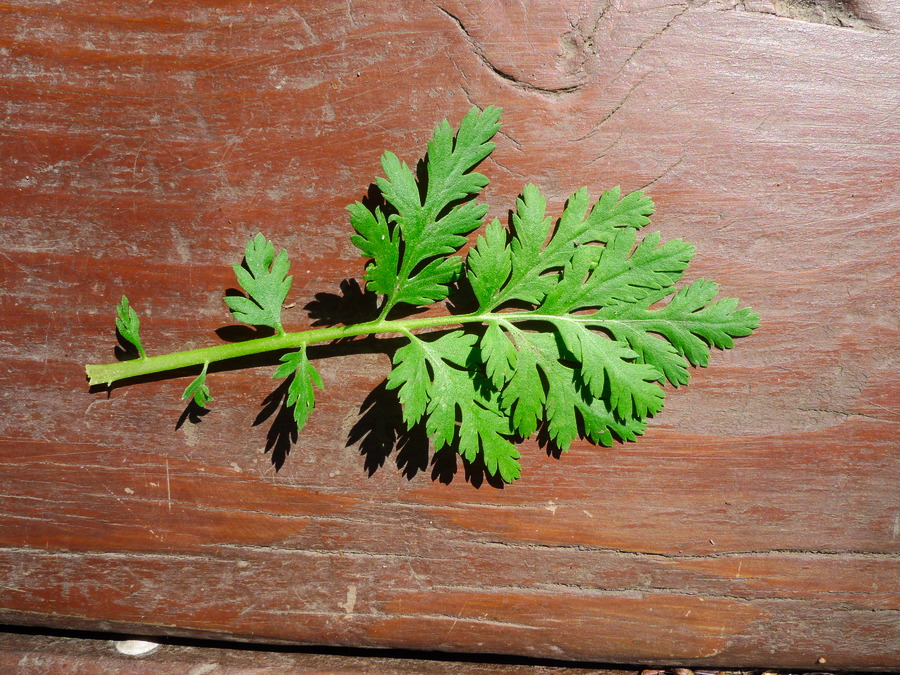
Anthriscus caucalis
Bur Chervil
Edible | Not Medicinal | Not Native
Bur Chervil
Edible | Not Medicinal | Not Native
Common name(s): Bur Chervil
Historic household popularity: Unknown
Comment: This pretty carrot family herb is growing in the front yard next to the pyracantha. It is pretty similar to both the torilis (hedgeparsley) and conium maculatum (poison hemlock), so care should be taken to distinguish them.
Edibility: Reportedly edible, though information is scarce. Presumably, this can be used as an herb like closely related garden chervil (anthriscus cerefolium). Here is some info. Pascal Baudar says it is edible in his book Wildcrafted Fermentation. I nibbled on some and its pretty tasty.
Medicinal Uses: I don't see anything here.
Distribution: Not native to California. Native to parts of Europe and Asia.
Date observed: 4/8/2020
Additional references: Calflora | Jepson
Historic household popularity: Unknown
Comment: This pretty carrot family herb is growing in the front yard next to the pyracantha. It is pretty similar to both the torilis (hedgeparsley) and conium maculatum (poison hemlock), so care should be taken to distinguish them.
Edibility: Reportedly edible, though information is scarce. Presumably, this can be used as an herb like closely related garden chervil (anthriscus cerefolium). Here is some info. Pascal Baudar says it is edible in his book Wildcrafted Fermentation. I nibbled on some and its pretty tasty.
Medicinal Uses: I don't see anything here.
Distribution: Not native to California. Native to parts of Europe and Asia.
Date observed: 4/8/2020
Additional references: Calflora | Jepson
Arum italicum
Italian Lords and Ladies
Edible | Medicinal | Not Native
Italian Lords and Ladies
Edible | Medicinal | Not Native
Common name(s): Italian Lords and Ladies
Historic household popularity: Medium
Comment: These are all over the back yard, especially along the side by the creek. None are flowering yet, but they should produce those familiar orange fruit rods later in the year.
Edibility: Contains toxic calcium oxalate crystals, but these are neutralized by cooking, drying, or even steeping in water. The tuber can be (thoroughly) cooked and eaten, apparently, though this seems like it might be more of a famine food.
Medicinal Uses: Little used today.
Distribution: Not native to California. Native to the Mediterranean region.
Date observed: 4/7/2020
Additional references: Calflora | PFAF | Jepson
Historic household popularity: Medium
Comment: These are all over the back yard, especially along the side by the creek. None are flowering yet, but they should produce those familiar orange fruit rods later in the year.
Edibility: Contains toxic calcium oxalate crystals, but these are neutralized by cooking, drying, or even steeping in water. The tuber can be (thoroughly) cooked and eaten, apparently, though this seems like it might be more of a famine food.
Medicinal Uses: Little used today.
Distribution: Not native to California. Native to the Mediterranean region.
Date observed: 4/7/2020
Additional references: Calflora | PFAF | Jepson
Arum palaestinum
Solomon's Lily
Edible | Medicinal | Not Native
Solomon's Lily
Edible | Medicinal | Not Native
Common name(s): Solomon's Lily; Black Calla Lily; Priest's Hood
Historic household popularity: Medium
Comment: A striking flower with an interesting history! We have only a few patches of these, as far as I can tell, but I'll be better able to identify them and keep them going from now on.
Edibility: Contains toxic calcium oxalate crystals, but these are neutralized by cooking, drying, or even steeping in water. The tuber and the leaves can be cooked and eaten, apparently.
Medicinal Uses: Seems to be fairly well studied and has been used for many centuries in the middle east to improve bone strength and treat cancer and parasitic infections, among other things. Here is some info, and here is a bunch more!
Distribution: Not native to California. Native to the Mediterranean region.
Date observed: 4/8/2020
Additional references: Calflora | Jepson
Historic household popularity: Medium
Comment: A striking flower with an interesting history! We have only a few patches of these, as far as I can tell, but I'll be better able to identify them and keep them going from now on.
Edibility: Contains toxic calcium oxalate crystals, but these are neutralized by cooking, drying, or even steeping in water. The tuber and the leaves can be cooked and eaten, apparently.
Medicinal Uses: Seems to be fairly well studied and has been used for many centuries in the middle east to improve bone strength and treat cancer and parasitic infections, among other things. Here is some info, and here is a bunch more!
Distribution: Not native to California. Native to the Mediterranean region.
Date observed: 4/8/2020
Additional references: Calflora | Jepson
Borago officinalis
Borage
Edible | Medicinal | Not Native
Borage
Edible | Medicinal | Not Native
Common name(s): Borage
Historic household popularity: High
Comment: Borage has gotten a bit out of control around the yard, but we aren't trying very hard to keep it in check. I think the borage population in the yard originated from some hand-planted seeds a few years ago. Its a pretty, pollinator friendly plant, and produces a fair amount of biomass for composting.
Edibility: Edible and tasty. Leaves can be eaten raw or cooked, flowers are a delicate raw snack to much while browsing the garden. The seeds also edible and known for being very high in gamma-linolenic acid (GLA).
Medicinal Uses: Apparently used to dispel melancholy and induce euphoria, and to treat a variety of ailments.
Distribution: Not native to California. Native to the Medditerranean Region.
Date observed: 3/31/2020
Additional references: Calflora | PFAF
Historic household popularity: High
Comment: Borage has gotten a bit out of control around the yard, but we aren't trying very hard to keep it in check. I think the borage population in the yard originated from some hand-planted seeds a few years ago. Its a pretty, pollinator friendly plant, and produces a fair amount of biomass for composting.
Edibility: Edible and tasty. Leaves can be eaten raw or cooked, flowers are a delicate raw snack to much while browsing the garden. The seeds also edible and known for being very high in gamma-linolenic acid (GLA).
Medicinal Uses: Apparently used to dispel melancholy and induce euphoria, and to treat a variety of ailments.
Distribution: Not native to California. Native to the Medditerranean Region.
Date observed: 3/31/2020
Additional references: Calflora | PFAF
Bromus diandrus
Ripgut Brome
Edible | Not Medicinal | Not Native
Ripgut Brome
Edible | Not Medicinal | Not Native
Common name(s): Ripgut Brome
Historic household popularity: Unknown
Comment: We have a thriving patch of b. diandrus in the back corner of the back yard by the big leaf maple tree, as well as some scattered around the yard elsewhere.
Edibility: The small seed can be cooked and eaten, or ground up and used for pinole. I have not tried it, and am not particularly inclined to due to its small size, but we'll see.
Medicinal Uses: None known.
Distribution: Not native to California. Native to the Mediterranean region.
Date observed: 4/6/2020
Additional references: Calflora | PFAF
Historic household popularity: Unknown
Comment: We have a thriving patch of b. diandrus in the back corner of the back yard by the big leaf maple tree, as well as some scattered around the yard elsewhere.
Edibility: The small seed can be cooked and eaten, or ground up and used for pinole. I have not tried it, and am not particularly inclined to due to its small size, but we'll see.
Medicinal Uses: None known.
Distribution: Not native to California. Native to the Mediterranean region.
Date observed: 4/6/2020
Additional references: Calflora | PFAF
Calandrinia menziesii
Red Maids
Edible | Not Medicinal | Native
Red Maids
Edible | Not Medicinal | Native
Common name(s): Red Maids
Historic household popularity: Unknown
Comment: This is a very pretty and vibrant pink flower, and I've only so far discovered a single occurence of this species in our yard! I wonder how it got there... It is pretty inconspicuous, with small flowers and spindly shoots, plus its half-hiding under some foliage. Its right next to the path by the compost pile, so we'll have to be vigilant to not inadvertently step on it. Hopefully we'll see more of this in future years!
Edibility: The leaves and shoots can be eaten, and the seed, while difficult to collect, can be used for pinole, as the Native Americans did in great quantity! Given that I've only found a single plant growing in our yard, I don't see much C. menziesii pinole in our future.
Medicinal Uses: None known.
Distribution: California Native!
Date observed: 4/1/2020
Additional references: Calflora | PFAF
Historic household popularity: Unknown
Comment: This is a very pretty and vibrant pink flower, and I've only so far discovered a single occurence of this species in our yard! I wonder how it got there... It is pretty inconspicuous, with small flowers and spindly shoots, plus its half-hiding under some foliage. Its right next to the path by the compost pile, so we'll have to be vigilant to not inadvertently step on it. Hopefully we'll see more of this in future years!
Edibility: The leaves and shoots can be eaten, and the seed, while difficult to collect, can be used for pinole, as the Native Americans did in great quantity! Given that I've only found a single plant growing in our yard, I don't see much C. menziesii pinole in our future.
Medicinal Uses: None known.
Distribution: California Native!
Date observed: 4/1/2020
Additional references: Calflora | PFAF
Calendula officinalis
Pot Marigold
Edible | Medicinal | Not Native
Pot Marigold
Edible | Medicinal | Not Native
Common name(s): Pot Marigold
Historic household popularity: High
Comment: Calendula has really taken over the side yard in colorful fashion. Mom planted some a little while back and they've reseeded vigorously, and without much complaining from the family.
Edibility: Leaves and flowers are both edible raw! Flowers petals are pleasant and delicate, making a pretty garnish on dishes. I have not tried the leaves, but they are apparently sweet and salty and with a nutritional profile similar to dandelion greens! Would be worth putting more effort into experimenting with ways to consume this plant!
Medicinal Uses: Well known medicinal plant with a variety of uses, including to treat skin problems (including wart removal), and to treat fever and chronic infections.
Distribution: Not native to California. Likely native to southern Europe.
Date observed: 4/1/2020
Additional references: Calflora | PFAF
Historic household popularity: High
Comment: Calendula has really taken over the side yard in colorful fashion. Mom planted some a little while back and they've reseeded vigorously, and without much complaining from the family.
Edibility: Leaves and flowers are both edible raw! Flowers petals are pleasant and delicate, making a pretty garnish on dishes. I have not tried the leaves, but they are apparently sweet and salty and with a nutritional profile similar to dandelion greens! Would be worth putting more effort into experimenting with ways to consume this plant!
Medicinal Uses: Well known medicinal plant with a variety of uses, including to treat skin problems (including wart removal), and to treat fever and chronic infections.
Distribution: Not native to California. Likely native to southern Europe.
Date observed: 4/1/2020
Additional references: Calflora | PFAF
Cardamine hirsuta
Hairy Bittercress
Edible | Not Medicinal | Not Native
Hairy Bittercress
Edible | Not Medicinal | Not Native
Common name(s): Hairy Bittercress
Historic household popularity: Unknown
Comment: These are all over our garden, and many are now going to seed. They disperse their seeds via a kind of spring loaded pod that shoots the seeds out when disturbed! I've been startled several times already when trying to photograph a plant and some of these explode next to my face! One distinguishing feature between C. hirsuta and other Cardamine species is the subtle hairs at the base of the leaves near the center of the plant.
Edibility: The leaves and flowers are edible and tasty! They have a pungent, spicy kick.
Medicinal Uses: None known.
Distribution: Not native to California. Native to Europe, North Africa.
Date observed: 4/2/2020
Additional references: Calflora | PFAF
Historic household popularity: Unknown
Comment: These are all over our garden, and many are now going to seed. They disperse their seeds via a kind of spring loaded pod that shoots the seeds out when disturbed! I've been startled several times already when trying to photograph a plant and some of these explode next to my face! One distinguishing feature between C. hirsuta and other Cardamine species is the subtle hairs at the base of the leaves near the center of the plant.
Edibility: The leaves and flowers are edible and tasty! They have a pungent, spicy kick.
Medicinal Uses: None known.
Distribution: Not native to California. Native to Europe, North Africa.
Date observed: 4/2/2020
Additional references: Calflora | PFAF
Carduus pycnocephalus
Italian Thistle
Edible | Medicinal | Not Native
Italian Thistle
Edible | Medicinal | Not Native
Common name(s): Italian Thistle
Historic household popularity: Low
Comment: We have a couple tiny little guys that sprouted around the yard. I doubt they'll get much bigger before getting pulled or trampled.
Edibility: Apparently all true thistles (those in the genus cirsium or carduus) are edible. In-sane people can trim the spines of the leaves and eat them. Normal people can stick to stripping the leaves from the flowering stalks and eating (cooked or not) the peeled stems. Sounds worth trying! Bring gloves.
Medicinal Uses: Other carduus spp. have some listed medicinal uses, which probably apply here as well, but I don't see any specific info.
Distribution: Not native to California. Native to South and East Europe, North Africa, West Asia, and India.
Date observed: 4/7/2020
Additional references: Calflora | PFAF | Jepson | eattheweeds
Historic household popularity: Low
Comment: We have a couple tiny little guys that sprouted around the yard. I doubt they'll get much bigger before getting pulled or trampled.
Edibility: Apparently all true thistles (those in the genus cirsium or carduus) are edible. In-sane people can trim the spines of the leaves and eat them. Normal people can stick to stripping the leaves from the flowering stalks and eating (cooked or not) the peeled stems. Sounds worth trying! Bring gloves.
Medicinal Uses: Other carduus spp. have some listed medicinal uses, which probably apply here as well, but I don't see any specific info.
Distribution: Not native to California. Native to South and East Europe, North Africa, West Asia, and India.
Date observed: 4/7/2020
Additional references: Calflora | PFAF | Jepson | eattheweeds
Claytonia perfoliata
Miner's Lettuce
Edible | Not Medicinal | Native
Miner's Lettuce
Edible | Not Medicinal | Native
Common name(s): Miner's Lettuce
Historic household popularity: High
Comment: A classic! Gotta love miner's lettuce. It's great that we have a couple small patches in our yard, both in the back and along the sidewalk in front. Hopefully we can keep them healthy for years to come!
Edibility: The leaves, stems and flowers can be munched with reckless abandon (as long as you leave some for later!), preferrably while down on all fours and without using your hands. A classic salad green! The flavor is mild, potentially a little bitter, but satisfying nonetheless.
Medicinal Uses: Pretty much just nutritive value.
Distribution: California Native!
Date observed: 4/2/2020
Additional references: Calflora | PFAF
Historic household popularity: High
Comment: A classic! Gotta love miner's lettuce. It's great that we have a couple small patches in our yard, both in the back and along the sidewalk in front. Hopefully we can keep them healthy for years to come!
Edibility: The leaves, stems and flowers can be munched with reckless abandon (as long as you leave some for later!), preferrably while down on all fours and without using your hands. A classic salad green! The flavor is mild, potentially a little bitter, but satisfying nonetheless.
Medicinal Uses: Pretty much just nutritive value.
Distribution: California Native!
Date observed: 4/2/2020
Additional references: Calflora | PFAF
Conium maculatum
Poison Hemlock
Not Edible | Medicinal | Not Native
Poison Hemlock
Not Edible | Medicinal | Not Native
Common name(s): Poison Hemlock
Historic household popularity: Low
Comment: The c. maculatum patch in the back right corner of the back yard is likely to be heavily weeded very shortly. I doubt this plant will ever go away completely, however, since the creek will probably provide a safe haven for the local population to persist. There is a classic tale from my childhood that recounts the time when Dad exuberantly scarfed down a fistful of hemlock from the back yard, having mistook it for wild fennel. He recalls it being delicious, but the nausea that followed disuaded further attempts.
Edibility: The entire plant is considered toxic, but the seeds have the highest concentration of toxic alkaloids. Surprisingly, there are people that eat the leaves of c. maculatum when thoroughly cooked or dried, but only in southern England. Regardless, one should refrain from consuming this plant.
Medicinal Uses: C. maculatum does have a long history of medicinal use, but it is not commonly employed today due to its known toxicity.
Distribution: Not native to California. Native to Europe and North Africa.
Date observed: 4/6/2020
Additional references: Calflora | PFAF
Historic household popularity: Low
Comment: The c. maculatum patch in the back right corner of the back yard is likely to be heavily weeded very shortly. I doubt this plant will ever go away completely, however, since the creek will probably provide a safe haven for the local population to persist. There is a classic tale from my childhood that recounts the time when Dad exuberantly scarfed down a fistful of hemlock from the back yard, having mistook it for wild fennel. He recalls it being delicious, but the nausea that followed disuaded further attempts.
Edibility: The entire plant is considered toxic, but the seeds have the highest concentration of toxic alkaloids. Surprisingly, there are people that eat the leaves of c. maculatum when thoroughly cooked or dried, but only in southern England. Regardless, one should refrain from consuming this plant.
Medicinal Uses: C. maculatum does have a long history of medicinal use, but it is not commonly employed today due to its known toxicity.
Distribution: Not native to California. Native to Europe and North Africa.
Date observed: 4/6/2020
Additional references: Calflora | PFAF
Convolvulus arvensis
Field Bindweed
Edible | Medicinal | Not Native
Field Bindweed
Edible | Medicinal | Not Native
Common name(s): Field Bindweed
Historic household popularity: Unknown
Comment: These small vines are sprouting up all around the yard, and are mostly pretty inconspicuous right now. They are not flowering yet, so may get quite a bit larger with time. They seem to prefer growing out of terra cotta bird bath's above all else, if the single instance of this micro-habitat in our back yard is any indication.
Edibility: The edibility / toxicity of C. arvensis seems somewhat unclear, though it is reportedly consumed in some form (usually the young shoots and leaves, and usually in small quantities) in various parts of the world (see this post). I think I'll stay clear for now, except possibly sucking nectar from the flowers, which sounds like a fun idea.
Medicinal Uses: The root, leaves, and flowers are used to treat fevers and wounds.
Distribution: Not native to California. Native to Europe and Asia.
Date observed: 4/2/2020
Additional references: Calflora | PFAF
Historic household popularity: Unknown
Comment: These small vines are sprouting up all around the yard, and are mostly pretty inconspicuous right now. They are not flowering yet, so may get quite a bit larger with time. They seem to prefer growing out of terra cotta bird bath's above all else, if the single instance of this micro-habitat in our back yard is any indication.
Edibility: The edibility / toxicity of C. arvensis seems somewhat unclear, though it is reportedly consumed in some form (usually the young shoots and leaves, and usually in small quantities) in various parts of the world (see this post). I think I'll stay clear for now, except possibly sucking nectar from the flowers, which sounds like a fun idea.
Medicinal Uses: The root, leaves, and flowers are used to treat fevers and wounds.
Distribution: Not native to California. Native to Europe and Asia.
Date observed: 4/2/2020
Additional references: Calflora | PFAF
Cotoneaster lacteus
Milkflower Cotoneaster
Not Edible | Not Medicinal | Not Native
Milkflower Cotoneaster
Not Edible | Not Medicinal | Not Native
Common name(s): Milkflower Cotoneaster
Historic household popularity: Unknown
Comment: We have a couple of c. lacteus trees entangled with the loquat tree and others on the side yard.
Edibility: I don't see much info here. The fruit may be edible, as other cotoneaster spp. have possibly edible fruit, but I wouldn't count on it. At least they don't seem to be particularly poisonous (in reasonable quantities).
Medicinal Uses: Some species of cotoneaster have limited medicinal use, but not much info here.
Distribution: Not native to California. Native to China.
Date observed: 4/8/2020
Additional references: Calflora | Jepson
Historic household popularity: Unknown
Comment: We have a couple of c. lacteus trees entangled with the loquat tree and others on the side yard.
Edibility: I don't see much info here. The fruit may be edible, as other cotoneaster spp. have possibly edible fruit, but I wouldn't count on it. At least they don't seem to be particularly poisonous (in reasonable quantities).
Medicinal Uses: Some species of cotoneaster have limited medicinal use, but not much info here.
Distribution: Not native to California. Native to China.
Date observed: 4/8/2020
Additional references: Calflora | Jepson
Cotoneaster pannosus
Silverleaf Cotoneaster
Not Edible | Not Medicinal | Not Native
Silverleaf Cotoneaster
Not Edible | Not Medicinal | Not Native
Common name(s): Silverleaf Cotoneaster
Historic household popularity: Unknown
Comment: We have one main c. pannosus tree near the sauna, but I've noticed a couple of tiny little sprouts around the yard!
Edibility: I don't see much info here. The fruit may be edible, as other cotoneaster spp. have possibly edible fruit, but I wouldn't count on it. At least they don't seem to be particularly poisonous (in reasonable quantities).
Medicinal Uses: Some species of cotoneaster have limited medicinal use, but not much info here.
Distribution: Not native to California. Native to south central China.
Date observed: 4/8/2020
Additional references: Calflora | Jepson
Historic household popularity: Unknown
Comment: We have one main c. pannosus tree near the sauna, but I've noticed a couple of tiny little sprouts around the yard!
Edibility: I don't see much info here. The fruit may be edible, as other cotoneaster spp. have possibly edible fruit, but I wouldn't count on it. At least they don't seem to be particularly poisonous (in reasonable quantities).
Medicinal Uses: Some species of cotoneaster have limited medicinal use, but not much info here.
Distribution: Not native to California. Native to south central China.
Date observed: 4/8/2020
Additional references: Calflora | Jepson
Delairea odorata
Cape Ivy
Not Edible | Not Medicinal | Not Native
Cape Ivy
Not Edible | Not Medicinal | Not Native
Common name(s): Cape Ivy
Historic household popularity: Unknown
Comment: We have a nice green patch of cape ivy just creeping over the concrete wall of the creek in the front yard near the culvert. Its all mixed in with the hedera canariensis, one giant mess of Ivy.
Edibility: Could not find any info here.
Medicinal Uses: Not seeing anything here.
Distribution: Not native to California. Native to Southern Africa.
Date observed: 4/8/2020
Additional references: Calflora | Jepson
Historic household popularity: Unknown
Comment: We have a nice green patch of cape ivy just creeping over the concrete wall of the creek in the front yard near the culvert. Its all mixed in with the hedera canariensis, one giant mess of Ivy.
Edibility: Could not find any info here.
Medicinal Uses: Not seeing anything here.
Distribution: Not native to California. Native to Southern Africa.
Date observed: 4/8/2020
Additional references: Calflora | Jepson
Epilobium ciliatum
Slender Willow Herb
Not Edible | Medicinal | Native
Slender Willow Herb
Not Edible | Medicinal | Native
Common name(s): Slender Willow Herb
Historic household popularity: Unknown
Comment: The plant has tiny little pink-purple flowers and really likes to sprout up in my turnip patch. It seems to have quite a bit of variation in plant growth habit around our yard. Most of the e. ciliatum in our yard seems to be concentrated between the back yard planting beds (around the asparagus) and the pond hill.
Edibility: I haven't found any information one way or another. So that will be a no-go.
Medicinal Uses: There are a few references to the plant being used by Native Americans to relieve muscle cramps and for diahrroea.
Distribution: California native!
Date observed: 4/6/2020
Additional references: Calflora | PFAF
Historic household popularity: Unknown
Comment: The plant has tiny little pink-purple flowers and really likes to sprout up in my turnip patch. It seems to have quite a bit of variation in plant growth habit around our yard. Most of the e. ciliatum in our yard seems to be concentrated between the back yard planting beds (around the asparagus) and the pond hill.
Edibility: I haven't found any information one way or another. So that will be a no-go.
Medicinal Uses: There are a few references to the plant being used by Native Americans to relieve muscle cramps and for diahrroea.
Distribution: California native!
Date observed: 4/6/2020
Additional references: Calflora | PFAF
Erodium moschatum
White-stemmed Filaree
Edible | Medicinal | Not Native
White-stemmed Filaree
Edible | Medicinal | Not Native
Common name(s): White-stemmed Filaree; Musky Stork's Bill
Historic household popularity: Unknown
Comment: There are a few of these lush stork's bills around the planting beds by the bike shed in the back yard. Cool!
Edibility: The leaves are edible raw or cooked! I have not tried them. They can be bitter, apparently.
Medicinal Uses: A tincture of this plant is reportedly used to treat dysentery.
Distribution: Not native to California. Native to most of Europe, Asia, and North Africa.
Date observed: 4/3/2020
Additional references: Calflora | PFAF
Historic household popularity: Unknown
Comment: There are a few of these lush stork's bills around the planting beds by the bike shed in the back yard. Cool!
Edibility: The leaves are edible raw or cooked! I have not tried them. They can be bitter, apparently.
Medicinal Uses: A tincture of this plant is reportedly used to treat dysentery.
Distribution: Not native to California. Native to most of Europe, Asia, and North Africa.
Date observed: 4/3/2020
Additional references: Calflora | PFAF
Eschscholzia californica
California Poppy
Edible | Medicinal | Native
California Poppy
Edible | Medicinal | Native
Common name(s): California Poppy
Historic household popularity: High
Comment: Well California Poppies are an all-time favorite. Super vibrant flowers reseed with enthusiasm around the side yard and back yard. I hope these keep on coming!
Edibility: Apparently the leaves can be cooked and eaten. I have not tried it.
Medicinal Uses: Apparently has a similar but more mild effect as the opium poppy. Normalizes psychological function, especially in children.
Distribution: California Native!
Date observed: 4/1/2020
Additional references: Calflora | PFAF
Historic household popularity: High
Comment: Well California Poppies are an all-time favorite. Super vibrant flowers reseed with enthusiasm around the side yard and back yard. I hope these keep on coming!
Edibility: Apparently the leaves can be cooked and eaten. I have not tried it.
Medicinal Uses: Apparently has a similar but more mild effect as the opium poppy. Normalizes psychological function, especially in children.
Distribution: California Native!
Date observed: 4/1/2020
Additional references: Calflora | PFAF
Euphorbia peplus
Petty Spurge
Not Edible | Medicinal | Not Native
Petty Spurge
Not Edible | Medicinal | Not Native
Common name(s): Petty Spurge
Historic household popularity: Unknown
Comment: Another fascinating plant! These little guys are all over the place in our yard. Their flowers/fruit are pretty strange looking.
Edibility: Not edible! In fact, your mouth will burn for days (apparently) if you should be unlucky enough to chew on it.
Medicinal Uses: E. peplus is known for treating a variety of skin lesions, including skin cancer, warts, and sunspots. The mikly sap it exudes from the leaves and stalk when broken is toxic to human tissues (and in a variety of types of cancer cells, in particular), and will effectively burn off areas where it is applied. The active ingredient in the sap is Ingenol Mebutate. Euphorbia peplus, amazingly, has its own website -- check it out!
Distribution: Not native to California. Native to Europe, North Africa, West Asia.
Date observed: 3/31/2020
Additional references: Calflora
Historic household popularity: Unknown
Comment: Another fascinating plant! These little guys are all over the place in our yard. Their flowers/fruit are pretty strange looking.
Edibility: Not edible! In fact, your mouth will burn for days (apparently) if you should be unlucky enough to chew on it.
Medicinal Uses: E. peplus is known for treating a variety of skin lesions, including skin cancer, warts, and sunspots. The mikly sap it exudes from the leaves and stalk when broken is toxic to human tissues (and in a variety of types of cancer cells, in particular), and will effectively burn off areas where it is applied. The active ingredient in the sap is Ingenol Mebutate. Euphorbia peplus, amazingly, has its own website -- check it out!
Distribution: Not native to California. Native to Europe, North Africa, West Asia.
Date observed: 3/31/2020
Additional references: Calflora
Galium aparine
Cleavers
Edible | Medicinal | Native
Cleavers
Edible | Medicinal | Native
Common name(s): Cleavers; Bedstraw; Catchweed
Historic household popularity: Low
Comment: Mom complains about this one. It is a sticky, somewhat abrasive plant, sometimes referred to as velcro plant for that reason. This seems to pop up in a few notable spots around the yard, like around the rosemary next to the side door and in and around the square wooden planter boxes by the pond. It has teeny tiny white flowers! The origins of its names are pretty interesting. Apparently, in olden-times 'cleaving' could mean joining together or separating depending on its usage, hence why this plant was called 'cleavers'. Furthermore, their sticky nature and pleasant scent when dried made them a common stuffing (along with straw) to fill mattresses -- hence 'bedstraw'. Catchweed, sticky plant, velcro plant, etc. are self-explanatory.
Edibility: Edible raw or cooked, preferably the tender tips of young shoots. I have tried nibbling the leaves raw (fine, but mild, and the texture is slightly off-putting) and boiling (again, pretty mild, and a little tedious to pick off the leaves). This seems to be a fairly popular plant to forage (here and here are two great posts on it). Galium is in the same botanical family as Coffee (Rubiaceae -- literally known as the coffee or bedstraw family), and one source suggests that the roasted seeds of g. aparine is one of very few plants preparations that actually tastes like coffee! This is a really interesting plant!
Medicinal Uses: Long history of medicinal use, in particular for skin problems and general detoxifying (cancer), along with a bunch of other stuff. The genus is of interest to the pharmaceutical industry.
Distribution: California Native!
Date observed: 3/30/2020
Additional references: Calflora | PFAF
Historic household popularity: Low
Comment: Mom complains about this one. It is a sticky, somewhat abrasive plant, sometimes referred to as velcro plant for that reason. This seems to pop up in a few notable spots around the yard, like around the rosemary next to the side door and in and around the square wooden planter boxes by the pond. It has teeny tiny white flowers! The origins of its names are pretty interesting. Apparently, in olden-times 'cleaving' could mean joining together or separating depending on its usage, hence why this plant was called 'cleavers'. Furthermore, their sticky nature and pleasant scent when dried made them a common stuffing (along with straw) to fill mattresses -- hence 'bedstraw'. Catchweed, sticky plant, velcro plant, etc. are self-explanatory.
Edibility: Edible raw or cooked, preferably the tender tips of young shoots. I have tried nibbling the leaves raw (fine, but mild, and the texture is slightly off-putting) and boiling (again, pretty mild, and a little tedious to pick off the leaves). This seems to be a fairly popular plant to forage (here and here are two great posts on it). Galium is in the same botanical family as Coffee (Rubiaceae -- literally known as the coffee or bedstraw family), and one source suggests that the roasted seeds of g. aparine is one of very few plants preparations that actually tastes like coffee! This is a really interesting plant!
Medicinal Uses: Long history of medicinal use, in particular for skin problems and general detoxifying (cancer), along with a bunch of other stuff. The genus is of interest to the pharmaceutical industry.
Distribution: California Native!
Date observed: 3/30/2020
Additional references: Calflora | PFAF
Geranium dissectum
Cutleaf Geranium
Edible | Medicinal | Not Native
Cutleaf Geranium
Edible | Medicinal | Not Native
Common name(s): Cutleaf Geranium; Cutleaf Crane's Bill
Historic household popularity: Medium
Comment: We've got lots of g. dissectum in healthy competition with the other vigorously growing weeds in the yard. The little pink flowers and lacy leaves make an attractive addition to the weed jungle. Having said that, we probably don't need quite so much g. dissectum.
Edibility: Seems to be edible, but rather unappetizing. If you find yourself confined to your home with no food and the gardener pulled out all the edible plants except a few g. dissectum, you can cook and eat the roots.
Medicinal Uses: An infusion of the whole plant can be used to treat diahrroea, internal bleeding, and more.
Distribution: Not native to California. Native to Europe.
Date observed: 4/1/2020
Additional references: Calflora | PFAF
Historic household popularity: Medium
Comment: We've got lots of g. dissectum in healthy competition with the other vigorously growing weeds in the yard. The little pink flowers and lacy leaves make an attractive addition to the weed jungle. Having said that, we probably don't need quite so much g. dissectum.
Edibility: Seems to be edible, but rather unappetizing. If you find yourself confined to your home with no food and the gardener pulled out all the edible plants except a few g. dissectum, you can cook and eat the roots.
Medicinal Uses: An infusion of the whole plant can be used to treat diahrroea, internal bleeding, and more.
Distribution: Not native to California. Native to Europe.
Date observed: 4/1/2020
Additional references: Calflora | PFAF
Geranium purpureum
Little Robin
Not Edible | Not Medicinal | Not Native
Little Robin
Not Edible | Not Medicinal | Not Native
Common name(s): Little Robin; Lesser Herb Robert
Historic household popularity: Unknown
Comment: There is a fair amount of g. purpureum growing long the top of the concrete wall bordering the creek in the front and side yards. It is a pretty interesting leaf arrangement and leaflet geometry, plus cute little pink flowers.
Edibility: Not edible, as far as I can tell.
Medicinal Uses: I can't find much info on g. purpureum uses, other than references to uses of closely related g. robertanium (Herb Robert).
Distribution: Not native to California. Native to Europe, North Africa, and West Asia.
Date observed: 4/1/2020
Additional references: Calflora
Historic household popularity: Unknown
Comment: There is a fair amount of g. purpureum growing long the top of the concrete wall bordering the creek in the front and side yards. It is a pretty interesting leaf arrangement and leaflet geometry, plus cute little pink flowers.
Edibility: Not edible, as far as I can tell.
Medicinal Uses: I can't find much info on g. purpureum uses, other than references to uses of closely related g. robertanium (Herb Robert).
Distribution: Not native to California. Native to Europe, North Africa, and West Asia.
Date observed: 4/1/2020
Additional references: Calflora
Hedera canariensis
Algerian Ivy
Not Edible | Medicinal | Not Native
Algerian Ivy
Not Edible | Medicinal | Not Native
Common name(s): Algerian Ivy
Historic household popularity: Low
Comment: The ivy has the creek on lock down. It tries to creep into the side yard and back yard, but doesn't make it much further than the fence. Still, it's not going anywhere. Note the reddish-brown tiny hairs on the leaf stem, one feature distinguishing it from h. helix.
Edibility: Not edible!
Medicinal Uses: There are a variety of medicinal uses of hedera spp., both external and internal. Some uses include to treat coughs and bronchitis.
Distribution: Not native to California. Native to the Canary Islands and North Africa.
Date observed: 4/7/2020
Additional references: Calflora | PFAF | Jepson
Historic household popularity: Low
Comment: The ivy has the creek on lock down. It tries to creep into the side yard and back yard, but doesn't make it much further than the fence. Still, it's not going anywhere. Note the reddish-brown tiny hairs on the leaf stem, one feature distinguishing it from h. helix.
Edibility: Not edible!
Medicinal Uses: There are a variety of medicinal uses of hedera spp., both external and internal. Some uses include to treat coughs and bronchitis.
Distribution: Not native to California. Native to the Canary Islands and North Africa.
Date observed: 4/7/2020
Additional references: Calflora | PFAF | Jepson
Hedera helix
English Ivy
Not Edible | Medicinal | Not Native
English Ivy
Not Edible | Medicinal | Not Native
Common name(s): English Ivy; Common Ivy
Historic household popularity: Unkonwn
Comment: H. helix is trying to stake a claim on our yard in a couple spots, notably just under the cactus pot outside the studio and between the chicken coop and the bike shed. Notice the white hairs on the leaf stem, one distinguishing feature from h. canariensis.
Edibility: Not edible!
Medicinal Uses: There are a variety of medicinal uses, both external and internal. Some uses include to treat coughs and bronchitis.
Distribution: Not native to California. Native to Europe and West Asia.
Date observed: 4/8/2020
Additional references: Calflora | PFAF | Jepson
Historic household popularity: Unkonwn
Comment: H. helix is trying to stake a claim on our yard in a couple spots, notably just under the cactus pot outside the studio and between the chicken coop and the bike shed. Notice the white hairs on the leaf stem, one distinguishing feature from h. canariensis.
Edibility: Not edible!
Medicinal Uses: There are a variety of medicinal uses, both external and internal. Some uses include to treat coughs and bronchitis.
Distribution: Not native to California. Native to Europe and West Asia.
Date observed: 4/8/2020
Additional references: Calflora | PFAF | Jepson
Helianthus annuus
Common Sunflower
Edible | Medicinal | Native
Common Sunflower
Edible | Medicinal | Native
Common name(s): Common Sunflower
Historic household popularity: High
Comment: Mom loves sunflowers, and last year even left giants to grow willy nilly in her raised beds in the side yard. We have been instructed to carefully walk around all volunteer sunflowers in the backyard.
Edibility: Edible, and tasty seeds (obviously), but also the immature flower buds can be steamed and eaten like artichokes!
Medicinal Uses: The leaves, flowers, seeds, and roots are all used for various purposes.
Distribution: California native!
Date observed: 4/7/2020
Additional references: Calflora | PFAF | Jepson
Historic household popularity: High
Comment: Mom loves sunflowers, and last year even left giants to grow willy nilly in her raised beds in the side yard. We have been instructed to carefully walk around all volunteer sunflowers in the backyard.
Edibility: Edible, and tasty seeds (obviously), but also the immature flower buds can be steamed and eaten like artichokes!
Medicinal Uses: The leaves, flowers, seeds, and roots are all used for various purposes.
Distribution: California native!
Date observed: 4/7/2020
Additional references: Calflora | PFAF | Jepson
Helminthotheca echioides
Bristly Ox Tongue
Edible | Not Medicinal | Not Native
Bristly Ox Tongue
Edible | Not Medicinal | Not Native
Common name(s): Bristly Ox Tongue
Historic household popularity: Unknown
Comment: We have just a few of these large-leaved, prickly weeds. It is remotely possible this is not the right ID for plant pictured. I think it is, but time will tell.
Edibility: The leaves are technically edible raw or cooked, but it doesn't sound the most appealing.
Medicinal Uses: None known.
Distribution: Not native to California. Native to Europe and North Africa.
Date observed: 4/8/2020
Additional references: Calflora | PFAF | Jepson
Historic household popularity: Unknown
Comment: We have just a few of these large-leaved, prickly weeds. It is remotely possible this is not the right ID for plant pictured. I think it is, but time will tell.
Edibility: The leaves are technically edible raw or cooked, but it doesn't sound the most appealing.
Medicinal Uses: None known.
Distribution: Not native to California. Native to Europe and North Africa.
Date observed: 4/8/2020
Additional references: Calflora | PFAF | Jepson
Hordeum murinum
Mouse Barley
Edible | Medicinal | Not Native
Mouse Barley
Edible | Medicinal | Not Native
Common name(s): Mouse Barley; Wall Barley; Foxtail; Smooth Barley
Historic household popularity: Unknown
Comment: I've found a few h. murinum plants growing near the beehive. A single plant looks like several, though, since the stems branch out from the base and emerge from the weed jungle several feet distant. It will be interesting to see if this sticks around long enough to mature the seeds.
Edibility: The seed is edible and can be cooked, used as a bread flour, etc, or as pinole, though it sounds like it is not the most rewarding of grains out there.
Medicinal Uses: Apparently used to treat bladder issues.
Distribution: Not native to California. Native to Europe and North Africa.
Date observed: 4/8/2020
Additional references: Calflora | PFAF | Jepson
Historic household popularity: Unknown
Comment: I've found a few h. murinum plants growing near the beehive. A single plant looks like several, though, since the stems branch out from the base and emerge from the weed jungle several feet distant. It will be interesting to see if this sticks around long enough to mature the seeds.
Edibility: The seed is edible and can be cooked, used as a bread flour, etc, or as pinole, though it sounds like it is not the most rewarding of grains out there.
Medicinal Uses: Apparently used to treat bladder issues.
Distribution: Not native to California. Native to Europe and North Africa.
Date observed: 4/8/2020
Additional references: Calflora | PFAF | Jepson
Hypochoeris radicata
Cat's Ear
Edible | Medicinal | Not Native
Cat's Ear
Edible | Medicinal | Not Native
Common name(s): Cat's Ear; Flatweed
Historic household popularity: Unknown
Comment: Beyond Señor Galileo, there aren't many cat's ears in our yard. I did find a couple out on the front curb under the oak trees, where not a whole lot else grows.
Edibility: Leaves can be eaten raw or cooked, preferably when young (leaves become bitter when older). I've nibbled them but that's about it.
Medicinal Uses: H. radicata has a long history of medicinal use in Europe, but I haven't found a lot of information on it.
Distribution: Not native to California. Native to Europe.
Date observed: 4/7/2020
Additional references: Calflora | PFAF
Historic household popularity: Unknown
Comment: Beyond Señor Galileo, there aren't many cat's ears in our yard. I did find a couple out on the front curb under the oak trees, where not a whole lot else grows.
Edibility: Leaves can be eaten raw or cooked, preferably when young (leaves become bitter when older). I've nibbled them but that's about it.
Medicinal Uses: H. radicata has a long history of medicinal use in Europe, but I haven't found a lot of information on it.
Distribution: Not native to California. Native to Europe.
Date observed: 4/7/2020
Additional references: Calflora | PFAF
Lactuca saligna
Narrow-leaf Wild Lettuce
Edible | Medicinal | Not Native
Narrow-leaf Wild Lettuce
Edible | Medicinal | Not Native
Common name(s): Narrow-leaf Wild Lettuce; Willow-leaf Lettuce
Historic household popularity: Unknown
Comment: Another wild lettuce! There are a few of these around the yard (that the gopher hasn't engaged), and they have really cool slender, smooth leaves!
Edibility: Presumably similar to l. serriola. In any case, all lactuca spp. are reportedly edible.
Medicinal Uses: Presumably similar to l. serriola, but info is lacking.
Distribution: Not native to California. Native to Europe and Asia.
Date observed: 4/7/2020
Additional references: Calflora | Jepson
Historic household popularity: Unknown
Comment: Another wild lettuce! There are a few of these around the yard (that the gopher hasn't engaged), and they have really cool slender, smooth leaves!
Edibility: Presumably similar to l. serriola. In any case, all lactuca spp. are reportedly edible.
Medicinal Uses: Presumably similar to l. serriola, but info is lacking.
Distribution: Not native to California. Native to Europe and Asia.
Date observed: 4/7/2020
Additional references: Calflora | Jepson
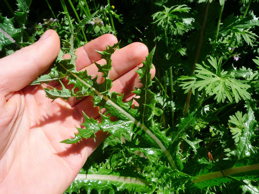
Lactuca serriola
Prickly Wild Lettuce
Edible | Medicinal | Not Native
Prickly Wild Lettuce
Edible | Medicinal | Not Native
Common name(s): Prickly Wild Lettuce
Historic household popularity: Unknown
Comment: We have a number of l. serriola plants in our yard, including a big one that's trying to muscle its way through the middle of the coffee berry bush by the bee hive. These plants seem like they can have quite a bit of leaf variation between individuals and over time. Interestingly, l. serriola is the closest botanical relative to l. sativa -- garden lettuce!
Edibility: The young leaves can be eaten raw or (lightly) cooked and the flowering shoots can be cooked like asparagus. Supposedly the plant becomes unpleasantly bitter as it gets older. I have not tried it, though I might. I wonder if the spikes on the leaves will be an issue.
Medicinal Uses: So, there is a lot going on here. Apparently, the mikly sap of l. serriola contains a compound called 'lactucarium', which is, in effect, a very week opium that doesn't have side effects (it is not addictive nor nausea-inducing). The concentration of this magical 'lettuce opium' is maximized when the plant goes to flower, and can be collected by cutting off the flower heads and scraping away the exuded milk repeatedly until it runs dry. It sounds like pretty potent stuff, even so, and should be used with caution. Very interesting indeed. Apparently lettuce opium has been around for a long time, but saw a resurgence in popularity in the 1970's with the hippie movement, and is still used today as a pain reliever and legal psychotropic. L. virosa, a closely related species, has higher concentrations of lactucarium and is more well known for these medicinal properties, while garden lettuce (l. sativa) contains some amount of lactucarium as well!
Distribution: Not native to California. Native to Europe, Asia, and North Africa.
Date observed: 4/6/2020
Additional references: Calflora | PFAF
Historic household popularity: Unknown
Comment: We have a number of l. serriola plants in our yard, including a big one that's trying to muscle its way through the middle of the coffee berry bush by the bee hive. These plants seem like they can have quite a bit of leaf variation between individuals and over time. Interestingly, l. serriola is the closest botanical relative to l. sativa -- garden lettuce!
Edibility: The young leaves can be eaten raw or (lightly) cooked and the flowering shoots can be cooked like asparagus. Supposedly the plant becomes unpleasantly bitter as it gets older. I have not tried it, though I might. I wonder if the spikes on the leaves will be an issue.
Medicinal Uses: So, there is a lot going on here. Apparently, the mikly sap of l. serriola contains a compound called 'lactucarium', which is, in effect, a very week opium that doesn't have side effects (it is not addictive nor nausea-inducing). The concentration of this magical 'lettuce opium' is maximized when the plant goes to flower, and can be collected by cutting off the flower heads and scraping away the exuded milk repeatedly until it runs dry. It sounds like pretty potent stuff, even so, and should be used with caution. Very interesting indeed. Apparently lettuce opium has been around for a long time, but saw a resurgence in popularity in the 1970's with the hippie movement, and is still used today as a pain reliever and legal psychotropic. L. virosa, a closely related species, has higher concentrations of lactucarium and is more well known for these medicinal properties, while garden lettuce (l. sativa) contains some amount of lactucarium as well!
Distribution: Not native to California. Native to Europe, Asia, and North Africa.
Date observed: 4/6/2020
Additional references: Calflora | PFAF
Lamium purpureum
Purple Deadnettle
Edible | Medicinal | Not Native
Purple Deadnettle
Edible | Medicinal | Not Native
Common name(s): Purple Deadnettle; Henbit
Historic household popularity: Unknown
Comment: A lovely, colorful, and abundant weed in the back yard.
Edibility: Edible. I've nibbled leaves (fine), but not tried cooking. Flowers are tiny but can be sweet!
Medicinal Uses: Leaves can be used to treat wounds, maybe some other stuff.
Distribution: Not native to California. Native to Europe and Asia.
Date observed: 3/30/2020
Additional references: Calflora
Historic household popularity: Unknown
Comment: A lovely, colorful, and abundant weed in the back yard.
Edibility: Edible. I've nibbled leaves (fine), but not tried cooking. Flowers are tiny but can be sweet!
Medicinal Uses: Leaves can be used to treat wounds, maybe some other stuff.
Distribution: Not native to California. Native to Europe and Asia.
Date observed: 3/30/2020
Additional references: Calflora
Leontodon saxatilis
Hairy Hawkbit
Edible | Medicinal | Not Native
Hairy Hawkbit
Edible | Medicinal | Not Native
Common name(s): Hairy Hawkbit; Lesser Hawkbit
Historic household popularity: Unknown
Comment: We have a few off these popping up around the back yard. They have an interesting nodding flower bud. I'll be curious to see them flower!
Edibility: The leaves are most likely edible, raw or cooked, and the root roasted, as a coffee substitute.
Medicinal Uses: There are a few medicinal uses for leontodon spp., nothing remarkable.
Distribution: Not native to California. Native to Europe and North Africa.
Date observed: 4/7/2020
Additional references: Calflora | PFAF | Jepson
Historic household popularity: Unknown
Comment: We have a few off these popping up around the back yard. They have an interesting nodding flower bud. I'll be curious to see them flower!
Edibility: The leaves are most likely edible, raw or cooked, and the root roasted, as a coffee substitute.
Medicinal Uses: There are a few medicinal uses for leontodon spp., nothing remarkable.
Distribution: Not native to California. Native to Europe and North Africa.
Date observed: 4/7/2020
Additional references: Calflora | PFAF | Jepson
Lepidium didymum
Lesser Swine Cress
Edible | Medicinal | Not Native
Lesser Swine Cress
Edible | Medicinal | Not Native
Common name(s): Lesser Swine Cress
Historic household popularity: Unknown
Comment: This interesting brassica family plant has itty bitty little flowers and a fruit that looks like two joined circles. I've seen in growing in two locations so far, the main one being right in front of the asparagus patch, before the walking path.
Edibility: The leaves are edible raw or cooked, with a spicy kick!
Medicinal Uses: Used to treat headaches and fever, among other things. Here and here is some relevant info.
Distribution: Not native to California. Origin thought to be South America.
Date observed: 4/8/2020
Additional references: Calflora | PFAF | Jepson
Historic household popularity: Unknown
Comment: This interesting brassica family plant has itty bitty little flowers and a fruit that looks like two joined circles. I've seen in growing in two locations so far, the main one being right in front of the asparagus patch, before the walking path.
Edibility: The leaves are edible raw or cooked, with a spicy kick!
Medicinal Uses: Used to treat headaches and fever, among other things. Here and here is some relevant info.
Distribution: Not native to California. Origin thought to be South America.
Date observed: 4/8/2020
Additional references: Calflora | PFAF | Jepson
Lysimachia arvensis
Scarlet Pimpernel
Not Edible | Medicinal | Not Native
Scarlet Pimpernel
Not Edible | Medicinal | Not Native
Common name(s): Scarlet Pimpernel
Historic household popularity: Unknown
Comment: We don't have many of these, but I've found them in a few locations around the yard. This is a good one to be familiar with, so that you don't mix it up with chickweed, which is sort of similar (except for the flower).
Edibility: Apparently this plant does have a history of consumption, but it is no longer recommended due to potential toxicity, and anyways is supposedly acrid.
Medicinal Uses: L. arvensis has a history of medicinal use in some countries, but its unclear whether these have much efficacy.
Date observed: 3/31/2020
Additional references: Calflora | PFAF
Historic household popularity: Unknown
Comment: We don't have many of these, but I've found them in a few locations around the yard. This is a good one to be familiar with, so that you don't mix it up with chickweed, which is sort of similar (except for the flower).
Edibility: Apparently this plant does have a history of consumption, but it is no longer recommended due to potential toxicity, and anyways is supposedly acrid.
Medicinal Uses: L. arvensis has a history of medicinal use in some countries, but its unclear whether these have much efficacy.
Date observed: 3/31/2020
Additional references: Calflora | PFAF
Malva parviflora
Cheeseweed Mallow
Edible | Medicinal | Not Native
Cheeseweed Mallow
Edible | Medicinal | Not Native
Common name(s): Cheeseweed Mallow
Historic household popularity: Medium
Comment: Mallow has got to be one of the most recognizable weeds around. So far, I've only observed one flowering malva in our yard, and that happened to be m. parviflora. I wouldn't be suprised if there are other species on the property as well though, as there certainly are around the neighborhood.
Edibility: Edible and one of my favorites! Mallow is in the same botanical family (Malvaceae) as Okra (and they share their mucilaginous qualities), but also, interestingly, as Cacao and Durian! The leaves and immature seed pods can be eaten raw or cooked, and the seeds can be eaten as well. ForageSF recommends drying the leaves and grinding them into a powder to use for thickening dishes. Hank Shaw made dolmas using large mallow leaves. Apparently the seeds can be used as a mucilaginous thickener (similar to chia seeds) -- to make a mallow seed pudding (it may be best to grind the seeds first, given their larger size). One source suggests mallow leaves boiled in a small amount of water creates a mucilaginous green gel that can act as a suitable vegan substitute for eggs in recipes. You can, of course, also make a kind of "marshmellow" using m. parviflora by first boiling the immature seed pods to create a gel.
Medicinal Uses: Malva spp in general are widely used medicinally. They are helpful for soothing inflammed tissues associated with digestive issues, respiratory infections (coughs, sore throats, etc.), UTIs, and more. Some recommend using mallow to make a face mask or shampoo to faciliate skin repair and dandruff removal. Here is some more info.
Distribution: Not native to California. Native to Europe, North Africa, and Asia.
Date observed: 4/1/2020
Additional references: Calflora | PFAF
Historic household popularity: Medium
Comment: Mallow has got to be one of the most recognizable weeds around. So far, I've only observed one flowering malva in our yard, and that happened to be m. parviflora. I wouldn't be suprised if there are other species on the property as well though, as there certainly are around the neighborhood.
Edibility: Edible and one of my favorites! Mallow is in the same botanical family (Malvaceae) as Okra (and they share their mucilaginous qualities), but also, interestingly, as Cacao and Durian! The leaves and immature seed pods can be eaten raw or cooked, and the seeds can be eaten as well. ForageSF recommends drying the leaves and grinding them into a powder to use for thickening dishes. Hank Shaw made dolmas using large mallow leaves. Apparently the seeds can be used as a mucilaginous thickener (similar to chia seeds) -- to make a mallow seed pudding (it may be best to grind the seeds first, given their larger size). One source suggests mallow leaves boiled in a small amount of water creates a mucilaginous green gel that can act as a suitable vegan substitute for eggs in recipes. You can, of course, also make a kind of "marshmellow" using m. parviflora by first boiling the immature seed pods to create a gel.
Medicinal Uses: Malva spp in general are widely used medicinally. They are helpful for soothing inflammed tissues associated with digestive issues, respiratory infections (coughs, sore throats, etc.), UTIs, and more. Some recommend using mallow to make a face mask or shampoo to faciliate skin repair and dandruff removal. Here is some more info.
Distribution: Not native to California. Native to Europe, North Africa, and Asia.
Date observed: 4/1/2020
Additional references: Calflora | PFAF
Medicago polymorpha
Burr Clover
Edible | Not Medicinal | Not Native
Burr Clover
Edible | Not Medicinal | Not Native
Common name(s): Burr Clover; Burr Medic
Historic household popularity: Unknown
Comment: We've got tons of burr clover, especially in the back yard, and it's an edible nitrogen fixer! M. polymorpha is symbiotic with sinorrhizobium medicae, a nitrogen fixing bacteria. It's also guilty of producing one of the classic late summer burrs that my shoes and socks soak up like a huge neodymium magnet attracts tiny metal donuts.
Edibility: The young leaves, shoots, and flowers can be eaten raw or cooked, and the seed can be eaten cooked. I've nibbled on the young leaves and they are not bad -- a little bitter but with a nice pea shoot like flavor.
Medicinal Uses: None known.
Distribution: Not native to California. Native to the Mediterreanean region.
Date observed: 3/31/2020
Additional references: Calflora | PFAF | <a href-"https://ucjeps.berkeley.edu/eflora/eflora_display.php?tid=32938">Jepson</a>
Historic household popularity: Unknown
Comment: We've got tons of burr clover, especially in the back yard, and it's an edible nitrogen fixer! M. polymorpha is symbiotic with sinorrhizobium medicae, a nitrogen fixing bacteria. It's also guilty of producing one of the classic late summer burrs that my shoes and socks soak up like a huge neodymium magnet attracts tiny metal donuts.
Edibility: The young leaves, shoots, and flowers can be eaten raw or cooked, and the seed can be eaten cooked. I've nibbled on the young leaves and they are not bad -- a little bitter but with a nice pea shoot like flavor.
Medicinal Uses: None known.
Distribution: Not native to California. Native to the Mediterreanean region.
Date observed: 3/31/2020
Additional references: Calflora | PFAF | <a href-"https://ucjeps.berkeley.edu/eflora/eflora_display.php?tid=32938">Jepson</a>
Melissa officinalis
Lemon Balm
Edible | Medicinal | Not Native
Lemon Balm
Edible | Medicinal | Not Native
Common name(s): Lemon Balm; Bee Balm; Common Balm
Historic household popularity: High
Comment: A lone, vigorous, and happy lemon balm plant sprouted up near the pear tree in the backyard and is now thriving inside Mom's cold box. I don't know of any other occurences of this plant in our yard right now.
Edibility: Aromatic lemony leaves can be eaten raw or cooked, or made into tea. The plant growing in our yard seems less lemony than other lemon balm plants I've encountered in the past, however.
Medicinal Uses: Used for a whole bunch of stuff, including to treat cold sores, fevers and colds, and certain types of indigestion.
Distribution: Not native to California. Native to parts of Europe and Asia.
Date observed: 4/2/2020
Additional references: Calflora | PFAF
Historic household popularity: High
Comment: A lone, vigorous, and happy lemon balm plant sprouted up near the pear tree in the backyard and is now thriving inside Mom's cold box. I don't know of any other occurences of this plant in our yard right now.
Edibility: Aromatic lemony leaves can be eaten raw or cooked, or made into tea. The plant growing in our yard seems less lemony than other lemon balm plants I've encountered in the past, however.
Medicinal Uses: Used for a whole bunch of stuff, including to treat cold sores, fevers and colds, and certain types of indigestion.
Distribution: Not native to California. Native to parts of Europe and Asia.
Date observed: 4/2/2020
Additional references: Calflora | PFAF
Myosotis latifolia
Broadleaf Forget Me Not
Edible | Not Medicinal | Not Native
Broadleaf Forget Me Not
Edible | Not Medicinal | Not Native
Common name(s): Broadleaf Forget Me Not
Historic household popularity: Unknown
Comment: We only have one forget me not, and its in the landscaped part of the front yard near the palm tree. One might think it was planted there on purpose (it wasn't).
Edibility: I can't find much info on m. latifolia in particular, though other myosotis spp are non-toxic / edible. M. latifolia is probably non-toxic at least in small doses.
Medicinal Uses: Probably not much.
Distribution: Not native to California. Native to Northwest Africa.
Date observed: 4/8/2020
Additional references: Calflora | Jepson
Historic household popularity: Unknown
Comment: We only have one forget me not, and its in the landscaped part of the front yard near the palm tree. One might think it was planted there on purpose (it wasn't).
Edibility: I can't find much info on m. latifolia in particular, though other myosotis spp are non-toxic / edible. M. latifolia is probably non-toxic at least in small doses.
Medicinal Uses: Probably not much.
Distribution: Not native to California. Native to Northwest Africa.
Date observed: 4/8/2020
Additional references: Calflora | Jepson
Nigella damascena
Love-in-a-mist
Edible | Medicinal | Not Native
Love-in-a-mist
Edible | Medicinal | Not Native
Common name(s): Love-in-a-mist; Devil in the bush
Historic household popularity: High
Comment: These are still in a pretty early stage of development, with patches in the side yard by the apple tree and the back yard by the fig tree. Mom loves the flowers.
Edibility: Apparently the seeds are edible raw or cooked, with a nutmeg-like flavor!
Medicinal Uses: All I can find is: 'expectorant'.
Distribution: Not native to California. Native to Southern Europe.
Date observed: 4/7/2020
Additional references: Calflora | PFAF
Historic household popularity: High
Comment: These are still in a pretty early stage of development, with patches in the side yard by the apple tree and the back yard by the fig tree. Mom loves the flowers.
Edibility: Apparently the seeds are edible raw or cooked, with a nutmeg-like flavor!
Medicinal Uses: All I can find is: 'expectorant'.
Distribution: Not native to California. Native to Southern Europe.
Date observed: 4/7/2020
Additional references: Calflora | PFAF
Oxalis corniculata
Creeping Woodsorrel
Edible | Medicinal | Not Native
Creeping Woodsorrel
Edible | Medicinal | Not Native
Common name(s): Creeping Woodsorrel
Historic household popularity: Unknown
Comment: These cute little yellow flowers are less conspicuous than the big o. pes-caprae flowers, and blend in more naturally with the back yard weed-scape. Still, is does spread pretty persistently and we probably don't need quite so much of it.
Edibility: Edible raw or cooked. The leaves and flowers are tart and tasty for a quick nibble. Fairly high in oxalic acid.
Medicinal Uses: Seems to have plenty, including treatment of fever, flu, and UTIs.
Distribution: Not native to California. Likely native to south-east Asia, but now naturalized in California.
Date observed: 3/31/2020
Additional references: Calflora | PFAF | Jepson
Historic household popularity: Unknown
Comment: These cute little yellow flowers are less conspicuous than the big o. pes-caprae flowers, and blend in more naturally with the back yard weed-scape. Still, is does spread pretty persistently and we probably don't need quite so much of it.
Edibility: Edible raw or cooked. The leaves and flowers are tart and tasty for a quick nibble. Fairly high in oxalic acid.
Medicinal Uses: Seems to have plenty, including treatment of fever, flu, and UTIs.
Distribution: Not native to California. Likely native to south-east Asia, but now naturalized in California.
Date observed: 3/31/2020
Additional references: Calflora | PFAF | Jepson
Oxalis pes-caprae
Sourgrass
Edible | Not Medicinal | Not Native
Sourgrass
Edible | Not Medicinal | Not Native
Common name(s): Sourgrass; Bermuda Buttercup; Soursop; African Wood Sorrel
Historic household popularity: Very Low
Comment: Taylor has been on oxalis alert for a while now, relentlessly weeding any and all observed plants at every opportunity. As a result, we don't have nearly as much oxalis as some of the neighbors, though it can still be found pretty reliably if you look close enough. Interestingly, there seems to be some debate over whether o. pes-capre is the ultimate evil or a more passive member of the largely non-native ecosystems of disturbed areas (see this and this).
Edibility: The whole plant is edible, leaves, shoots, flowers, and root/bulb. The root should be cooked, but everything else is optional. The leaves and flowers are pretty tart (and high in oxalic acid), but are pleasant for a nibble.
Medicinal Uses: None known.
Distribution: Not native to California. Native to South Africa.
Date observed: 4/1/2020
Additional references: Calflora | PFAF | Jepson
Historic household popularity: Very Low
Comment: Taylor has been on oxalis alert for a while now, relentlessly weeding any and all observed plants at every opportunity. As a result, we don't have nearly as much oxalis as some of the neighbors, though it can still be found pretty reliably if you look close enough. Interestingly, there seems to be some debate over whether o. pes-capre is the ultimate evil or a more passive member of the largely non-native ecosystems of disturbed areas (see this and this).
Edibility: The whole plant is edible, leaves, shoots, flowers, and root/bulb. The root should be cooked, but everything else is optional. The leaves and flowers are pretty tart (and high in oxalic acid), but are pleasant for a nibble.
Medicinal Uses: None known.
Distribution: Not native to California. Native to South Africa.
Date observed: 4/1/2020
Additional references: Calflora | PFAF | Jepson
Papaver somniferum
Opium poppy
Edible | Medicinal | Not Native
Opium poppy
Edible | Medicinal | Not Native
Common name(s): Opium Poppy
Historic household popularity: High
Comment: Mom calls these Peter Jones' Poppies, and they have pretty well escaped their original planting area and are poppy up in a variety of locations around the yard, front, side, and back!
Edibility: Poppy seeds! These are the same poppy seeds you would find at the store -- they contain very little (if any) of the narcotic compounds. The leaves can also be eaten (raw or cooked), preferably before the flower heads develop.
Medicinal Uses: This is a potent one! The dried latex from the unripe seed heads is high in a variety of alkaloids, including opium and morphine. They are used for pain relief, and a variety of other purposes, but are notoriously addictive.
Distribution: Not native to California. Native to the Eastern Mediterreanean region, probably.
Date observed: 4/10/2020
Additional references: Calflora | PFAF | Jepson
Historic household popularity: High
Comment: Mom calls these Peter Jones' Poppies, and they have pretty well escaped their original planting area and are poppy up in a variety of locations around the yard, front, side, and back!
Edibility: Poppy seeds! These are the same poppy seeds you would find at the store -- they contain very little (if any) of the narcotic compounds. The leaves can also be eaten (raw or cooked), preferably before the flower heads develop.
Medicinal Uses: This is a potent one! The dried latex from the unripe seed heads is high in a variety of alkaloids, including opium and morphine. They are used for pain relief, and a variety of other purposes, but are notoriously addictive.
Distribution: Not native to California. Native to the Eastern Mediterreanean region, probably.
Date observed: 4/10/2020
Additional references: Calflora | PFAF | Jepson
Phacelia distans
Common Phacelia
Not Edible | Not Medicinal | Native
Common Phacelia
Not Edible | Not Medicinal | Native
Common name(s): Common Phacelia; Distant Phecelia
Historic household popularity: Unknown
Comment: We have phaecelia! Just one plant, hiding along the fence next to the hugelkultur. Wouldn't mind seeing more phacelia around the yard! Note: this could possibly be p. tanacetifolia -- flowers will confirm.
Edibility: Some spieces of phacelia have edible leaves, but I can't find any info regarding p. distans.
Medicinal Uses: None that I can find.
Distribution: California native!
Date observed: 4/11/2020
Additional references: Calflora | Jepson
Historic household popularity: Unknown
Comment: We have phaecelia! Just one plant, hiding along the fence next to the hugelkultur. Wouldn't mind seeing more phacelia around the yard! Note: this could possibly be p. tanacetifolia -- flowers will confirm.
Edibility: Some spieces of phacelia have edible leaves, but I can't find any info regarding p. distans.
Medicinal Uses: None that I can find.
Distribution: California native!
Date observed: 4/11/2020
Additional references: Calflora | Jepson
Photinia serratifolia
Taiwanese Photinia
Not Edible | Medicinal | Not Native
Taiwanese Photinia
Not Edible | Medicinal | Not Native
Common name(s): Taiwanese Photinia
Historic household popularity: Unkonwn
Comment: The one big p. serratifolia in the front yard next to the holly leaf cherry has been slowly getting trimmed back lately to open up the canopy a bit. It has apparently been successful in reseeding itself as evidenced by the numerous sprouts growing out of the pond mound by the waterfall. The flowers are pretty aromatic on this tree.
Edibility: Doesn't seem to be.
Medicinal Uses: Supposedly a strong aphrodisiac? Also invigorating (tonic).
Distribution: Not native to California. Native to East Asia.
Date observed: 4/10/2020
Additional references: Calflora | PFAF
Historic household popularity: Unkonwn
Comment: The one big p. serratifolia in the front yard next to the holly leaf cherry has been slowly getting trimmed back lately to open up the canopy a bit. It has apparently been successful in reseeding itself as evidenced by the numerous sprouts growing out of the pond mound by the waterfall. The flowers are pretty aromatic on this tree.
Edibility: Doesn't seem to be.
Medicinal Uses: Supposedly a strong aphrodisiac? Also invigorating (tonic).
Distribution: Not native to California. Native to East Asia.
Date observed: 4/10/2020
Additional references: Calflora | PFAF
Poa annua
Annual Bluegrass
Not Edible | Not Medicinal | Not Native
Annual Bluegrass
Not Edible | Not Medicinal | Not Native
Common name(s): Annual Bluegrass
Historic household popularity: Unknown
Comment: P. annua is one of the signature grasses of our backyard, forming delicate and feathery miniature seed heads atop compact mats of stems. It seems very resilient to being stepped on.
Edibility: Unknown
Medicinal Uses: None known.
Distribution: Not native to California. Likely native to Europe.
Date observed: 3/31/2020
Additional references: Calflora | PFAF | Jepson
Historic household popularity: Unknown
Comment: P. annua is one of the signature grasses of our backyard, forming delicate and feathery miniature seed heads atop compact mats of stems. It seems very resilient to being stepped on.
Edibility: Unknown
Medicinal Uses: None known.
Distribution: Not native to California. Likely native to Europe.
Date observed: 3/31/2020
Additional references: Calflora | PFAF | Jepson
Plantago lanceolata
English Plantain
Edible | Medicinal | Not Native
English Plantain
Edible | Medicinal | Not Native
Common name(s): English Plantain; Narrow Leaved Plantain
Historic household popularity: Unknown
Comment: Well, here I was thinking that we, amazingly, didn't have any plantain growing in our yard. There is at least one! A little one, right off the back deck of the studio.
Edibility: The leaves can be eaten raw or cooked -- the younger the better to avoid excessive bitterness and stringyness. The seeds can be cooked, or ground into flour and used for a variety of recipes. Green Deane shares a bunch of plantain recipes here -- the plantain chips sound interesting!
Medicinal Uses: A widely used medicinal plant, especially for wounds (clotting and tissue repair), skin irritations in general, and for a variety of gut relatied issues and more. The seeds have a fair amount of mucilage and act as a laxative in larger quantities.
Distribution: Not native to California. Native to Europe.
Date observed: 4/10/2020
Additional references: Calflora | PFAF | Jepson
Historic household popularity: Unknown
Comment: Well, here I was thinking that we, amazingly, didn't have any plantain growing in our yard. There is at least one! A little one, right off the back deck of the studio.
Edibility: The leaves can be eaten raw or cooked -- the younger the better to avoid excessive bitterness and stringyness. The seeds can be cooked, or ground into flour and used for a variety of recipes. Green Deane shares a bunch of plantain recipes here -- the plantain chips sound interesting!
Medicinal Uses: A widely used medicinal plant, especially for wounds (clotting and tissue repair), skin irritations in general, and for a variety of gut relatied issues and more. The seeds have a fair amount of mucilage and act as a laxative in larger quantities.
Distribution: Not native to California. Native to Europe.
Date observed: 4/10/2020
Additional references: Calflora | PFAF | Jepson
Prunus ilicifolia
Holly Leaf Cherry
Edible | Medicinal | Native
Holly Leaf Cherry
Edible | Medicinal | Native
Common name(s): Holly Leaf Cherry
Historic household popularity: Low
Comment: We have a massive p. ilicifolia growing next to the sauna -- by far the largest one I've seen anywhere. Its probably close to 3 ft in diameter and 35 ft high or so. It produces loads of fruit every year, and these in the past have mostly served to make a mess all over the side patio and make it difficult to play ping pong on the brick barefoot because of all the cherry pits on the ground. Right now there are numerous p. ilicifolia seedlings sprouting up all around the side yard. Going forward, I think we should try harder to make use of the fruit.
Edibility: Edible! The thin-fleshed fruit can be eaten raw or cooked, and was popular among the Native Americans. Apparently the seed can also be ground into flour and leached of bitterness before being eaten. Note that the leaves, bark, and seed of the tree contain compounds that form hydrocyanic acid in water (or when consumed). This is what imbues stone fruit pits (like almonds, and especially noyeaux) with their characteristic flavor, but is also very toxic is high doses. In other words, don't eat a lot of it, or leach out the stuff in water first. Here is some more info on p. ilicifolia uses.
Medicinal Uses: The leaves and bark can be used to make cough medicine. Small quantities of hydrogen cyanide apparently improves respiration, digestion, fights cancer, and generally makes one feel better. Hmm.
Distribution: California native!
Date observed: 4/8/2020
Additional references: Calflora | PFAF | Jepson
Historic household popularity: Low
Comment: We have a massive p. ilicifolia growing next to the sauna -- by far the largest one I've seen anywhere. Its probably close to 3 ft in diameter and 35 ft high or so. It produces loads of fruit every year, and these in the past have mostly served to make a mess all over the side patio and make it difficult to play ping pong on the brick barefoot because of all the cherry pits on the ground. Right now there are numerous p. ilicifolia seedlings sprouting up all around the side yard. Going forward, I think we should try harder to make use of the fruit.
Edibility: Edible! The thin-fleshed fruit can be eaten raw or cooked, and was popular among the Native Americans. Apparently the seed can also be ground into flour and leached of bitterness before being eaten. Note that the leaves, bark, and seed of the tree contain compounds that form hydrocyanic acid in water (or when consumed). This is what imbues stone fruit pits (like almonds, and especially noyeaux) with their characteristic flavor, but is also very toxic is high doses. In other words, don't eat a lot of it, or leach out the stuff in water first. Here is some more info on p. ilicifolia uses.
Medicinal Uses: The leaves and bark can be used to make cough medicine. Small quantities of hydrogen cyanide apparently improves respiration, digestion, fights cancer, and generally makes one feel better. Hmm.
Distribution: California native!
Date observed: 4/8/2020
Additional references: Calflora | PFAF | Jepson
Quercus agrifolia
Coast Live Oak
Edible | Medicinal | Native
Coast Live Oak
Edible | Medicinal | Native
Common name(s): Coast Live Oak
Historic household popularity: Unknown
Comment: We have a couple of large live oak trees out on the front curb that have formed a clandestine alliance with the local grey squirrels to infiltrate the yard with live oak acorns. Well, maybe, but there still are not that many q. agrifolia sprouts around.
Edibility: I won't elaborate, but the acorns are... drum roll... edible. Eat em up yum.
Medicinal Uses: Apparently, the galls can be used to treat hemorrhages and chronic diahrrea.
Distribution: California native!
Date observed: 4/7/2020
Additional references: Calflora | PFAF
Historic household popularity: Unknown
Comment: We have a couple of large live oak trees out on the front curb that have formed a clandestine alliance with the local grey squirrels to infiltrate the yard with live oak acorns. Well, maybe, but there still are not that many q. agrifolia sprouts around.
Edibility: I won't elaborate, but the acorns are... drum roll... edible. Eat em up yum.
Medicinal Uses: Apparently, the galls can be used to treat hemorrhages and chronic diahrrea.
Distribution: California native!
Date observed: 4/7/2020
Additional references: Calflora | PFAF
Quercus lobata
Valley Oak
Edible | Medicinal | Native
Valley Oak
Edible | Medicinal | Native
Common name(s): Valley Oak; California White Oak
Historic household popularity: Medium
Comment: We got one big daddy valley oak behind the studio, and that one shoots acorns all over in an attempt to colonize the yard.
Edibility: Acorns. Collect em, dry em, shell em, grind em, leach em, (finally) eat em. Interestingly, a. lobata acorns are sweeter and less bitter (tannic) than those from other quercus species.
Medicinal Uses: Apparently, the galls can be used to treat hemorrhages and chronic diahrrea.
Distribution: California native!
Date observed: 4/8/2020
Additional references: Calflora | PFAF | Jepson
Historic household popularity: Medium
Comment: We got one big daddy valley oak behind the studio, and that one shoots acorns all over in an attempt to colonize the yard.
Edibility: Acorns. Collect em, dry em, shell em, grind em, leach em, (finally) eat em. Interestingly, a. lobata acorns are sweeter and less bitter (tannic) than those from other quercus species.
Medicinal Uses: Apparently, the galls can be used to treat hemorrhages and chronic diahrrea.
Distribution: California native!
Date observed: 4/8/2020
Additional references: Calflora | PFAF | Jepson
Ranunculus muricatus
Spiny-fruit Buttercup
Not Edible | Medicinal | Not Native
Spiny-fruit Buttercup
Not Edible | Medicinal | Not Native
Common name(s): Spiny-fruit Buttercup
Historic household popularity: Unknown
Comment: This inconspicuous ranunculus patch was hiding in the corner of the front yard near the creek, under the shade of a tree. A small little patch, but with a fair number of plants.
Edibility: Not edible!
Medicinal Uses: Does not seem commonly used, but there is reference to this plant being used to treat fevers and more.
Distribution: Not native to California. Native to Europe.
Date observed: 4/6/2020
Additional references: Calflora | PFAF
Historic household popularity: Unknown
Comment: This inconspicuous ranunculus patch was hiding in the corner of the front yard near the creek, under the shade of a tree. A small little patch, but with a fair number of plants.
Edibility: Not edible!
Medicinal Uses: Does not seem commonly used, but there is reference to this plant being used to treat fevers and more.
Distribution: Not native to California. Native to Europe.
Date observed: 4/6/2020
Additional references: Calflora | PFAF
Romulea rosea
Onion Grass
Edible | Not Medicinal | Not Native
Onion Grass
Edible | Not Medicinal | Not Native
Common name(s): Onion Grass; Rosy Sandcrocus
Historic household popularity: Unknown
Comment: This one just popped up out of nowhere! A single beautiful flower, and right off back deck of the studio, perfectly placed to be stepped on. We'll see how long it lasts.
Edibility: Edible! Apparently the fruits of r. rosea, while small, are sweet and juicy -- even called "plum puddings" by some. The corms can be eaten as well, with a flavor similar to water chestnuts, but with a bitter aftertaste. The leaves are tough but probably edible. Here is a relevant post.
Medicinal Uses: None known.
Distribution: Not native to California. Native to South Africa.
Date observed: 4/6/2020
Additional references: Calflora | Jepson
Historic household popularity: Unknown
Comment: This one just popped up out of nowhere! A single beautiful flower, and right off back deck of the studio, perfectly placed to be stepped on. We'll see how long it lasts.
Edibility: Edible! Apparently the fruits of r. rosea, while small, are sweet and juicy -- even called "plum puddings" by some. The corms can be eaten as well, with a flavor similar to water chestnuts, but with a bitter aftertaste. The leaves are tough but probably edible. Here is a relevant post.
Medicinal Uses: None known.
Distribution: Not native to California. Native to South Africa.
Date observed: 4/6/2020
Additional references: Calflora | Jepson
Rubus armeniacus
Himalayan Blackberry
Edible | Not Medicinal | Not Native
Himalayan Blackberry
Edible | Not Medicinal | Not Native
Common name(s): Himalayan Blackberry
Historic household popularity: Medium
Comment: It's kind of a love-hate relationship with blackberries. Super tasty, but super annoying when they thorn up your yard. Fortunately, blackberries don't have a strong hold in our yard, and are only found sneaking through the fence from the neighboor's yard, plus a few small shoots here and there.
Edibility: Eat em up yum!
Medicinal Uses: None known.
Distribution: Not native to California. Native to Europe.
Date observed: 4/7/2020
Additional references: Calflora | PFAF | Jepson
Historic household popularity: Medium
Comment: It's kind of a love-hate relationship with blackberries. Super tasty, but super annoying when they thorn up your yard. Fortunately, blackberries don't have a strong hold in our yard, and are only found sneaking through the fence from the neighboor's yard, plus a few small shoots here and there.
Edibility: Eat em up yum!
Medicinal Uses: None known.
Distribution: Not native to California. Native to Europe.
Date observed: 4/7/2020
Additional references: Calflora | PFAF | Jepson
Rumex crispus
Curly Dock
Edible | Medicinal | Not Native
Curly Dock
Edible | Medicinal | Not Native
Common name(s): Curly Dock
Historic household popularity: Medium
Comment: I'm not 100% certain on this ID, since these don't seem to be classic r. crispus. I should be able to confirm when they flower. These inhabit only the very corner of the front yard by the creek, and mostly just on the patch of ground between the sidewalk and the curb. They have claimed that spot pretty well though.
Edibility: A fairly popular edible. The leaves, stems, and seeds can all be eaten. The leaves are best young, and its recommended to peel the stems before eating them. Even the leaf petioles (leaf stems) can be cooked like rhubarb. Cooking will reduce the high amounts of oxalic acid in the plant. The seeds are similar to buckwheat, and can be ground into flour and used similarly. Here is a great overview on dock foraging.
Medicinal Uses: R. crispus has a long history of medicinal use. The root is most commonly used, and supports healthy digestion, liver function, and certain skin conditions, among other things.
Distribution: Not native to California. Native to Europe and West Asia.
Date observed: 4/8/2020
Additional references: Calflora | PFAF | Jepson
Historic household popularity: Medium
Comment: I'm not 100% certain on this ID, since these don't seem to be classic r. crispus. I should be able to confirm when they flower. These inhabit only the very corner of the front yard by the creek, and mostly just on the patch of ground between the sidewalk and the curb. They have claimed that spot pretty well though.
Edibility: A fairly popular edible. The leaves, stems, and seeds can all be eaten. The leaves are best young, and its recommended to peel the stems before eating them. Even the leaf petioles (leaf stems) can be cooked like rhubarb. Cooking will reduce the high amounts of oxalic acid in the plant. The seeds are similar to buckwheat, and can be ground into flour and used similarly. Here is a great overview on dock foraging.
Medicinal Uses: R. crispus has a long history of medicinal use. The root is most commonly used, and supports healthy digestion, liver function, and certain skin conditions, among other things.
Distribution: Not native to California. Native to Europe and West Asia.
Date observed: 4/8/2020
Additional references: Calflora | PFAF | Jepson
Senecio vulgaris
Common Groudsel
Not Edible | Medicinal | Not Native
Common Groudsel
Not Edible | Medicinal | Not Native
Common name(s): Common Groundsel; Old Man in the Spring
Historic household popularity: Unknown
Comment: We have tons of this stuff. Dad has taken a liking to the name "old man in spring", and he jokese that the airy seed heads looks like old Eisteins waving their wispy heads of white hair around.
Edibility: While this plant has some history of consumption, it is also known to contain a liver damaging toxin, so best to steer well clear.
Medicinal Uses: S. vulgaris has been long used for various medicinal purposes, including treating stomach sickness.
Distribution: Not native to California. Native to Europe.
Date observed: 3/31/2020
Additional references: Calflora | PFAF | Jepson
Historic household popularity: Unknown
Comment: We have tons of this stuff. Dad has taken a liking to the name "old man in spring", and he jokese that the airy seed heads looks like old Eisteins waving their wispy heads of white hair around.
Edibility: While this plant has some history of consumption, it is also known to contain a liver damaging toxin, so best to steer well clear.
Medicinal Uses: S. vulgaris has been long used for various medicinal purposes, including treating stomach sickness.
Distribution: Not native to California. Native to Europe.
Date observed: 3/31/2020
Additional references: Calflora | PFAF | Jepson
Sonchus asper
Spiny Sow Thistle
Edible | Medicinal | Not Native
Spiny Sow Thistle
Edible | Medicinal | Not Native
Common name(s): Spiny Sow Thistle
Historic household popularity: Unknown
Comment: Mom is on the verge of declaring all out war against one particular individual of this species -- the big one right under the clothes hanging area. I was able to hold of the attack for now, so that I could at least identify it, and to check if any others are growing in our yard. I am accepting donations to support the protection of the laundry zone. In any case, I assumed this was a thistle at first, but the spines are mild, and it exudes a milky latex (nullifying the thistle hypothesis)!
Edibility: Despite the weaponized appearance, S. asper is, in fact, edible! The young leaves and stem tips are the choice parts. Munch them down raw (carefully, I assume?), or cook them up like spinach. Apparently the milky juice exuded from the cut plant can be bitter and is sometimes better washed out. I have not yet tried consuming this plant.
Medicinal Uses: Used as a poultice on wounds.
Distribution: Not native to California. Native to Europe, West Asia, and North Africa.
Date observed: 4/3/2020
Additional references: Calflora | PFAF
Historic household popularity: Unknown
Comment: Mom is on the verge of declaring all out war against one particular individual of this species -- the big one right under the clothes hanging area. I was able to hold of the attack for now, so that I could at least identify it, and to check if any others are growing in our yard. I am accepting donations to support the protection of the laundry zone. In any case, I assumed this was a thistle at first, but the spines are mild, and it exudes a milky latex (nullifying the thistle hypothesis)!
Edibility: Despite the weaponized appearance, S. asper is, in fact, edible! The young leaves and stem tips are the choice parts. Munch them down raw (carefully, I assume?), or cook them up like spinach. Apparently the milky juice exuded from the cut plant can be bitter and is sometimes better washed out. I have not yet tried consuming this plant.
Medicinal Uses: Used as a poultice on wounds.
Distribution: Not native to California. Native to Europe, West Asia, and North Africa.
Date observed: 4/3/2020
Additional references: Calflora | PFAF
Sonchus oleraceus
Common Sow Thistle
Edible | Medicinal | Not Native
Common Sow Thistle
Edible | Medicinal | Not Native
Common name(s): Common Sow Thistle
Historic household popularity: Medium
Comment: Another classic, although I was not previously fully acquainted with S. oleraceus, depsite the familiar appearance. These are growing all around the back yard and along the creek border wall, in a variety of colors, shapes and sizes. There will be less variety of colors, shapes, and sizes once I start eating them for breakfast (or maybe a midnight snack?).
Edibility: Oooh yes, edible and reportedly the best of the sow thistles (an elite class of edibles in their own right -- jk). But really, spring leaves can be eaten raw or cooked and the stem can be eaten like asparagus! Somehow, I haven't tried this plant yet. I don't expect that to last long. Here is eattheweeds' guide to sow thistles.
Medicinal Uses: It has a variety of traditional uses, from treating warts to cancer to diarrhoea.
Distribution: Not native to California. Native to Europe and Western Asia.
Date observed: 4/3/2020
Additional references: Calflora | PFAF
Historic household popularity: Medium
Comment: Another classic, although I was not previously fully acquainted with S. oleraceus, depsite the familiar appearance. These are growing all around the back yard and along the creek border wall, in a variety of colors, shapes and sizes. There will be less variety of colors, shapes, and sizes once I start eating them for breakfast (or maybe a midnight snack?).
Edibility: Oooh yes, edible and reportedly the best of the sow thistles (an elite class of edibles in their own right -- jk). But really, spring leaves can be eaten raw or cooked and the stem can be eaten like asparagus! Somehow, I haven't tried this plant yet. I don't expect that to last long. Here is eattheweeds' guide to sow thistles.
Medicinal Uses: It has a variety of traditional uses, from treating warts to cancer to diarrhoea.
Distribution: Not native to California. Native to Europe and Western Asia.
Date observed: 4/3/2020
Additional references: Calflora | PFAF
Stachys byzantina
Lamb's Ear
Edible | Medicinal | Not Native
Lamb's Ear
Edible | Medicinal | Not Native
Common name(s): Lamb's Ear; Woolly Hedgenettle
Historic household popularity: High
Comment: The lamb's ear patch in the backyard by the bike shed just keeps on growing. No one knows how long its been there or where it came from, but Mom and Dad don't complain because they think it looks nice. Dad even transplanted some along the sidewalk to "smother the weeds". But the bees like it
Edibility: Apparently the young leaves can be eaten raw or cooked. Someone says the leaves taste like a combination of apples and pineapples (here)... ok, I have to go try this now!
Medicinal Uses: Antibacterial; useful for healing cuts, stings, bites, and for colds and throat infections. It double duty as a natural band-aid and toilet paper!
Distribution: Not native to California. Native to Turkey, Armenia, and Iran.
Date observed: 4/2/2020
Additional references: Calflora
Historic household popularity: High
Comment: The lamb's ear patch in the backyard by the bike shed just keeps on growing. No one knows how long its been there or where it came from, but Mom and Dad don't complain because they think it looks nice. Dad even transplanted some along the sidewalk to "smother the weeds". But the bees like it
Edibility: Apparently the young leaves can be eaten raw or cooked. Someone says the leaves taste like a combination of apples and pineapples (here)... ok, I have to go try this now!
Medicinal Uses: Antibacterial; useful for healing cuts, stings, bites, and for colds and throat infections. It double duty as a natural band-aid and toilet paper!
Distribution: Not native to California. Native to Turkey, Armenia, and Iran.
Date observed: 4/2/2020
Additional references: Calflora
Stachys rigida
Rough Hedgenettle
Edible | Medicinal | Native
Rough Hedgenettle
Edible | Medicinal | Native
Common name(s): Rough Hedgenettle
Historic household popularity: Unknown
Comment: There is a healthy stand of hedgenettle thoroughly embedded in one of the raised beds in the back yard. I've actually tried to pull a lot of it out in the past, but I don't think it's going anywhere. The scent is somewhat odd.
Edibility: While Stachys sp. in general are commonly used (especially medicinally), there seems to be little information on S. rigida in particular. Most likely this can be consumed as you would other Stachys species.
Medicinal Uses: Tea or tincture improves headaches (including hangovers), and helps sprains and joint inflammation (source: Medicinal Plants of the Pacific West).
Distribution: California Native!
Date observed: 4/2/2020
Additional references: Calflora
Historic household popularity: Unknown
Comment: There is a healthy stand of hedgenettle thoroughly embedded in one of the raised beds in the back yard. I've actually tried to pull a lot of it out in the past, but I don't think it's going anywhere. The scent is somewhat odd.
Edibility: While Stachys sp. in general are commonly used (especially medicinally), there seems to be little information on S. rigida in particular. Most likely this can be consumed as you would other Stachys species.
Medicinal Uses: Tea or tincture improves headaches (including hangovers), and helps sprains and joint inflammation (source: Medicinal Plants of the Pacific West).
Distribution: California Native!
Date observed: 4/2/2020
Additional references: Calflora
Stellaria media
Chickweed
Edible | Medicinal | Not Native
Chickweed
Edible | Medicinal | Not Native
Common name(s): Chickweed
Historic household popularity: Unknown
Comment: The chickweed population in our yard is concentrated amongst the lamb's ears by the bike shed and in the side yard along the concrete wall by the sauna. These succulent greens are in no danger of being evicted from the property.
Edibility: A very popular introductory species for budding foragers. The leaves can be eaten raw or cooked, and the seed can be (painstakingly) collected and used as a flour or thickener in various recipes. S. media does contain some saponins would could be harmlful in larger quantities, so maybe don't go on a chickweed fast. There are a bunch of resources on foraging chickweed and recipes out there.
Medicinal Uses: Herbalists have been using chickweed since dinosaur times (ok, maybe not that long), and its well known for treating itchy skin conditions. It is also used to treat chest problems and digestion, among various other ailments.
Distribution: Not native to California. Native to Eurasia.
Date observed: 3/31/2020
Additional references: Calflora | PFAF | Jepson
Historic household popularity: Unknown
Comment: The chickweed population in our yard is concentrated amongst the lamb's ears by the bike shed and in the side yard along the concrete wall by the sauna. These succulent greens are in no danger of being evicted from the property.
Edibility: A very popular introductory species for budding foragers. The leaves can be eaten raw or cooked, and the seed can be (painstakingly) collected and used as a flour or thickener in various recipes. S. media does contain some saponins would could be harmlful in larger quantities, so maybe don't go on a chickweed fast. There are a bunch of resources on foraging chickweed and recipes out there.
Medicinal Uses: Herbalists have been using chickweed since dinosaur times (ok, maybe not that long), and its well known for treating itchy skin conditions. It is also used to treat chest problems and digestion, among various other ailments.
Distribution: Not native to California. Native to Eurasia.
Date observed: 3/31/2020
Additional references: Calflora | PFAF | Jepson
Tanacetum parthenium
Feverfew
Not Edible | Medicinal | Not Native
Feverfew
Not Edible | Medicinal | Not Native
Common name(s): Feverfew
Historic household popularity: High
Comment: Mom planted feverfew at some point, and now its kinda doing its own thing. The slowly spreading patch is right next to the cactus pot near the studio back deck.
Edibility: It sounds like there is some limited use for the dried flowers in flavoring food, and the leaves impart a certain bitterness. Note that the leaves can cause irritation to the mouth of consumed raw.
Medicinal Uses: A well-reputed medicinal herb. Commonly used to treat headaches and arthritis, as well as colds and fevers.
Distribution: Not native to California. Native to Europe and Asia.
Date observed: 4/10/2020
Additional references: Calflora | PFAF | Jepson
Historic household popularity: High
Comment: Mom planted feverfew at some point, and now its kinda doing its own thing. The slowly spreading patch is right next to the cactus pot near the studio back deck.
Edibility: It sounds like there is some limited use for the dried flowers in flavoring food, and the leaves impart a certain bitterness. Note that the leaves can cause irritation to the mouth of consumed raw.
Medicinal Uses: A well-reputed medicinal herb. Commonly used to treat headaches and arthritis, as well as colds and fevers.
Distribution: Not native to California. Native to Europe and Asia.
Date observed: 4/10/2020
Additional references: Calflora | PFAF | Jepson
Taraxacum officinale
Common Dandelion
Edible | Medicinal | Not Native
Common Dandelion
Edible | Medicinal | Not Native
Common name(s): Common Dandelion
Historic household popularity: Medium-High
Comment: People don't tend to complain about dandelions. They sprout up all over and make nice pretty flowers. We've got some pretty healthy plants scattered around the back yard.
Edibility: If you can make wine from it, you know its good. While dandelion wine usually calls for a boatload of dandelion flowers, both the leaves and roots can also be used. The leaves are of course a classic bitter green (raw or cooked), and have an extra nutritious reputation. The root can be dried, roasted, and ground up to make a coffee-like beverage. Someone mentions pickling the unopened flower buds (like capers) -- that sounds like a great idea! Finally, as always, you can make tea.
Medicinal Uses: There seems to be a whole lotta uses with complicated descriptions which I won't try to summarize.
Distribution: Not native to California. Native to Europe and Asia.
Date observed: 4/2/2020
Additional references: Calflora | PFAF
Historic household popularity: Medium-High
Comment: People don't tend to complain about dandelions. They sprout up all over and make nice pretty flowers. We've got some pretty healthy plants scattered around the back yard.
Edibility: If you can make wine from it, you know its good. While dandelion wine usually calls for a boatload of dandelion flowers, both the leaves and roots can also be used. The leaves are of course a classic bitter green (raw or cooked), and have an extra nutritious reputation. The root can be dried, roasted, and ground up to make a coffee-like beverage. Someone mentions pickling the unopened flower buds (like capers) -- that sounds like a great idea! Finally, as always, you can make tea.
Medicinal Uses: There seems to be a whole lotta uses with complicated descriptions which I won't try to summarize.
Distribution: Not native to California. Native to Europe and Asia.
Date observed: 4/2/2020
Additional references: Calflora | PFAF
Taraxacum erythrospermum
Red-seeded Dandelion
Edible | Medicinal | Not Native
Red-seeded Dandelion
Edible | Medicinal | Not Native
Common name(s): Red-seeded Dandelion
Historic household popularity: Unknown
Comment: Super stoked to realize that we have two species of dandelion growing in our yard! T. erythrospermum differs from t. officinale in the color of the achene (seed) and leaf shape (and probably in other ways). There are a number of these plants in the front yard, and growing right next to common dandelions! Side note: it seems that t. erythrospermum may of undergone a taxonomic change, possibly explaining some of the lack of clear info on its uses / origins.
Edibility: Presumably similar to T. officinale, though I haven't found information specific to t. erythrospermum.
Medicinal Uses: Again, presumably similar to T. officinale. Not much info here.
Distribution: Not native to California according to Caflora, though Wikipedia seems to imply it is native to North America. There isn't a ton of info on this, surprisingly.
Date observed: 4/7/2020
Additional references: Calflora | Jepson
Historic household popularity: Unknown
Comment: Super stoked to realize that we have two species of dandelion growing in our yard! T. erythrospermum differs from t. officinale in the color of the achene (seed) and leaf shape (and probably in other ways). There are a number of these plants in the front yard, and growing right next to common dandelions! Side note: it seems that t. erythrospermum may of undergone a taxonomic change, possibly explaining some of the lack of clear info on its uses / origins.
Edibility: Presumably similar to T. officinale, though I haven't found information specific to t. erythrospermum.
Medicinal Uses: Again, presumably similar to T. officinale. Not much info here.
Distribution: Not native to California according to Caflora, though Wikipedia seems to imply it is native to North America. There isn't a ton of info on this, surprisingly.
Date observed: 4/7/2020
Additional references: Calflora | Jepson
Torilis sp.
Hedge Parsley
? | ? | Not Native
Hedge Parsley
? | ? | Not Native
Trifolium hirtum
Rose Clover
Not Edible | Not Medicinal | Not Native
Rose Clover
Not Edible | Not Medicinal | Not Native
Common name(s): Rose Clover
Historic household popularity: Unknown
Comment: There are a couple of t. hirtum plants growing in the front yard, around the wine barrel next to the Japanese maple.
Edibility: Trifolium is a large genus, and many trifolium spp. are edible. However, others are not recommended, and I can't find any info on t. hirtum specifically.
Medicinal Uses: I can't find any.
Distribution: Not native to California. Native to Europe, North Africa, and West Asia.
Date observed: 4/11/2020
Additional references: Calflora | Jepson
Historic household popularity: Unknown
Comment: There are a couple of t. hirtum plants growing in the front yard, around the wine barrel next to the Japanese maple.
Edibility: Trifolium is a large genus, and many trifolium spp. are edible. However, others are not recommended, and I can't find any info on t. hirtum specifically.
Medicinal Uses: I can't find any.
Distribution: Not native to California. Native to Europe, North Africa, and West Asia.
Date observed: 4/11/2020
Additional references: Calflora | Jepson
Urtica dioica
Stinging Nettle
Edible | Medicinal | Native
Stinging Nettle
Edible | Medicinal | Native
Common name(s): Stinging Nettle
Historic household popularity: Medium
Comment: We had a healthy nettle plant growing under the chicken coop, but it was relocated over by the gravenstein apple tree and then subsequently weeded by the gardener. Now one need just peek down into the creek to see the tall nettles swaying over the smooth water.
Edibility: The young leaves are a popular spring time treat. Cooking or drying neutralizes the sting, rendering them delicious. Apparently the older, mature leaves develop gritty particles called cystoliths which can cause kidney problems, so avoid those.
Medicinal Uses: There is a lot here. I will have to come back later for a more thorough look.
Distribution: California native!
Date observed: 4/8/2020
Additional references: Calflora | PFAF | Jepson
Historic household popularity: Medium
Comment: We had a healthy nettle plant growing under the chicken coop, but it was relocated over by the gravenstein apple tree and then subsequently weeded by the gardener. Now one need just peek down into the creek to see the tall nettles swaying over the smooth water.
Edibility: The young leaves are a popular spring time treat. Cooking or drying neutralizes the sting, rendering them delicious. Apparently the older, mature leaves develop gritty particles called cystoliths which can cause kidney problems, so avoid those.
Medicinal Uses: There is a lot here. I will have to come back later for a more thorough look.
Distribution: California native!
Date observed: 4/8/2020
Additional references: Calflora | PFAF | Jepson
Veronica persica
Persian Speedwell
Edible | Medicinal | Not Native
Persian Speedwell
Edible | Medicinal | Not Native
Common name(s): Persian Speedwell; Bird's Eye Speedwell
Historic household popularity: Unknown
Comment: V. persica has super cool purple-tinged blue flowers and inhabits exactly one little piece of the back yard (the back raised "flower" bed).
Edibility: The leaves can be reportedly eaten, at least in small quantities, but are somewhat bitter, especially when mature. When it's famine time, you know what to do. Actually, once upon a time in France v. persica made a popular black tea substitute (they called it 'Europa Tea'), since it had a similar smell and vaguely similar taste to black tea. Here is some related info, and here is some more.
Medicinal Uses: It can be made into a tea that relieves cold symptoms and skin issues, among other uses.
Distribution: Not native to California. Native to Eurasia.
Date observed: 3/31/2020
Additional references: Calflora | Jepson
Historic household popularity: Unknown
Comment: V. persica has super cool purple-tinged blue flowers and inhabits exactly one little piece of the back yard (the back raised "flower" bed).
Edibility: The leaves can be reportedly eaten, at least in small quantities, but are somewhat bitter, especially when mature. When it's famine time, you know what to do. Actually, once upon a time in France v. persica made a popular black tea substitute (they called it 'Europa Tea'), since it had a similar smell and vaguely similar taste to black tea. Here is some related info, and here is some more.
Medicinal Uses: It can be made into a tea that relieves cold symptoms and skin issues, among other uses.
Distribution: Not native to California. Native to Eurasia.
Date observed: 3/31/2020
Additional references: Calflora | Jepson
Vicia sativa
Spring Vetch
Edible | Medicinal | Not Native
Spring Vetch
Edible | Medicinal | Not Native
Common name(s): Spring Vetch; Garden Vetch
Historic household popularity: Unknown
Comment: It took me a little while to realize we have vetch growing in our yard -- there isn't much of it. But there are a couple little sprouts here and there. Fix that nitrogen!
Edibility: Vetch is apparently one of the oldest cultivated food crops, going back something like 10,000-15,000 years! It eventually fell out of favor though, being mostly replaced by other crops. The young leaves, shoots, and pods can be eaten cooked, and reportedly the seed is very high in protein and can be cooked and eaten as well (like, pressure coooked), though does contain some toxins that should be properly leached / cooked out (but in any case isn't supposed to taste great). The leaf shoots do taste great though. Here is some info, and this article snippet says that well cooked v. sativa seeds have no detectable toxins of concern. I saw a suggestion to make vetch tip pesto, which sounds like a great idea! Here is another great post on v. sativa uses.
Medicinal Uses: Can be used as an antiseptic poultice on wounds and for treating some skin problems like eczema.
Distribution: Not native to California. Native to Europe, North Africa, and West Asia.
Date observed: 4/10/2020
Additional references: Calflora | PFAF | Jepson
Historic household popularity: Unknown
Comment: It took me a little while to realize we have vetch growing in our yard -- there isn't much of it. But there are a couple little sprouts here and there. Fix that nitrogen!
Edibility: Vetch is apparently one of the oldest cultivated food crops, going back something like 10,000-15,000 years! It eventually fell out of favor though, being mostly replaced by other crops. The young leaves, shoots, and pods can be eaten cooked, and reportedly the seed is very high in protein and can be cooked and eaten as well (like, pressure coooked), though does contain some toxins that should be properly leached / cooked out (but in any case isn't supposed to taste great). The leaf shoots do taste great though. Here is some info, and this article snippet says that well cooked v. sativa seeds have no detectable toxins of concern. I saw a suggestion to make vetch tip pesto, which sounds like a great idea! Here is another great post on v. sativa uses.
Medicinal Uses: Can be used as an antiseptic poultice on wounds and for treating some skin problems like eczema.
Distribution: Not native to California. Native to Europe, North Africa, and West Asia.
Date observed: 4/10/2020
Additional references: Calflora | PFAF | Jepson
Zantedeschia aethiopica
Calla Lily
Edible | Not Medicinal | Not Native
Calla Lily
Edible | Not Medicinal | Not Native
Common name(s): Calla Lily
Historic household popularity: High
Comment: Mom and Dad like the Calla Lilies, and the Calla Lilies like our yard. They have distributed themselves pretty well around the back yard, and are trying to make a break for the side yard.
Edibility: Apparently, the young leaves can be cooked and eaten. Note that they have high levels of calcium oxylate crystals when raw (destroyed by cooking), when induce a feeling of chewing on a handful of needles. So only consume raw if you're into that kinda thing. I have not tried this plant, and am not particularly inclined to.
Medicinal Uses: None known.
Distribution: Not native to California. Native to Southern Africa.
Date observed: 4/7/2020
Additional references: Calflora | PFAF | Jepson
Historic household popularity: High
Comment: Mom and Dad like the Calla Lilies, and the Calla Lilies like our yard. They have distributed themselves pretty well around the back yard, and are trying to make a break for the side yard.
Edibility: Apparently, the young leaves can be cooked and eaten. Note that they have high levels of calcium oxylate crystals when raw (destroyed by cooking), when induce a feeling of chewing on a handful of needles. So only consume raw if you're into that kinda thing. I have not tried this plant, and am not particularly inclined to.
Medicinal Uses: None known.
Distribution: Not native to California. Native to Southern Africa.
Date observed: 4/7/2020
Additional references: Calflora | PFAF | Jepson